OTTHON CENTRUM
  • About Us
  • About Us
    • About Us
    • Analytic Division
  • Our Offices
  • Contact
    • Our Offices
  • Legal Information
    • Data Management Information
    • Announcements
    • Imprint
    • Financial Rules
    • Service Statement
    • Legal Statement
  • Manage Privacy
  • HU
Bauhaus illustration
Any
Any
City, District, Neighborhood
Nagybajom
1 selected
-
Price in M Ft
m Ft
-
Price in e Ft
e Ft
-
Size m²
m²
-
Rooms count
pcs
Registration Number Projects Advanced Search
Legal Status
Any
Type
Any
Type
Any
Type
Any
Type
Any
Function
Any
Type
Any
Construction Method
Any
Heating
Any
Condition
Any
View
Any
Staircase Type
Any
Number of Bathrooms
Floor
Any
Any
Year of Construction
Where are you looking?
No Results
  • Budapest
  • Countryside

For sale plot - Nagybajom

1 property

for sale plot

image
image
image
image
image
image
image
image
image
1/9
Nagybajom
1 079m²
Nagybajom
Exclusive Contract
0.9M Ft 3,000 €

Nagybajom Somogy megye középső részén, a 61-es főút mentén fekszik, Kaposvártól 25 kilométerre nyugatra. 1996-ban elnyerte az Európai gólyafalu címet, amely a település 2001. július 1-jén történt várossá avatása után A gólyák városa névre változott.
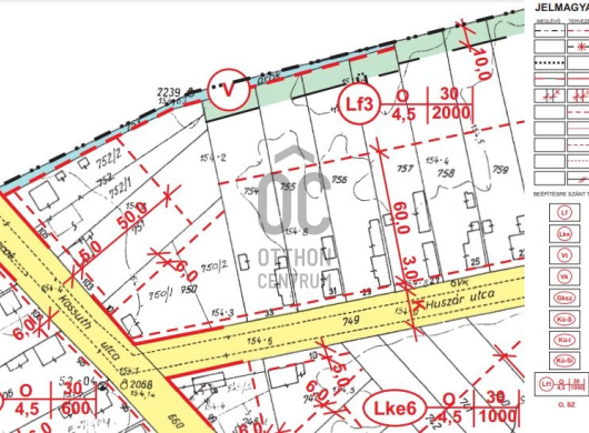
Az utcafronti, 1079 nm-es, sík, építési telek a Huszár utca 33 szám alatt, az Igmándy kúriától és a Szelen Tótól nem messze található. Az utca aszfaltozott, a telek környezetében kertes lakóházak vannak. Az ingatlan tehermentes, azonnal birtokba vehető.
Hrsz.: 750/2Övezeti besorolás: Lf3 (30% beépíthetőség, 4,5m épületmagasság)
Víz, csatorna, gáz és villany telekhatáron, vagy az utca végén (kb. 50 méter távolságra) van.
Nagybajom szerepel a falusi CSOK településlistán.A telek méretéből adódóan alkalmas családi ház építésére, vagy kisebb mezőgazdasági hasznosításra i

1 / 1 properties
  • Nagybajom
  • for sale plot in the area
  • Top for Sale
  • Top for Rent
  • for sale plot 1
  • for sale plot Ádánd 7
  • for sale plot Bábonymegyer 2
  • for sale plot Balatonberény 8
  • for sale plot Balatonboglár 3
  • for sale plot Balatonendréd 3
  • for sale plot Balatonfenyves 2
  • for sale plot Balatonföldvár 6
  • for sale plot Balatonkeresztúr 1
  • for sale plot Balatonlelle 1
  • for sale plot Balatonmáriafürdő 3
  • for sale plot Balatonőszöd 3
  • for sale plot Balatonszabadi 4
  • for sale plot Balatonszárszó 14
  • for sale plot Balatonszemes 2
  • for sale plot Balatonvilágos 5
  • for sale plot Bálványos 6
  • for sale plot Bárdudvarnok 1
  • for sale plot Buzsák 2
  • for sale plot Fonyód 3
  • for sale plot Gölle 1
  • for sale plot Görgeteg 1
  • for sale plot Gyékényes 2
  • for sale plot Gyugy 1
  • for sale plot Háromfa 1
  • for sale plot Kaposkeresztúr 1
  • for sale plot Kaposvár 2
  • for sale plot Karád 2
  • for sale plot Kereki 3
  • for sale plot Kéthely 1
  • for sale plot Kőröshegy 5
  • for sale plot Kötcse 6
  • for sale plot Lengyeltóti 3
  • for sale plot Marcali 3
  • for sale plot Nagybajom 1
  • for sale plot Nagyberény 3
  • for sale plot Nyim 2
  • for sale plot Ordacsehi 1
  • for sale plot Őrtilos 1
  • for sale plot Ságvár 3
  • for sale plot Siófok 28
  • for sale plot Somogybabod 1
  • for sale plot Somogysárd 1
  • for sale plot Szántód 5
  • for sale plot Szólád 3
  • for sale plot Szőkedencs 1
  • for sale plot Szőlősgyörök 2
  • for sale plot Tab 6
  • for sale plot Várda 1
  • for sale plot Zamárdi 4
  • for sale plot Abasár 1
  • for sale plot Abda 1
  • for sale plot Abony 12
  • for sale plot Ábrahámhegy 5
  • for sale plot Ádánd 7
  • for sale plot Adony 2
  • for sale plot Ágasegyháza 1
  • for sale plot Ajak 1
  • for sale plot Ajka 7
  • for sale plot Aka 1
  • for sale plot Albertirsa 2
  • for sale plot Alcsútdoboz 1
  • for sale plot Algyő 2
  • for sale plot Álmosd 1
  • for sale plot Alsónémedi 2
  • for sale plot Alsóörs 3
  • for sale plot Alsópáhok 11
  • for sale plot Alsóújlak 1
  • for sale plot Andornaktálya 2
  • for sale plot Áporka 2
  • for sale plot Aszód 1
  • for sale plot Atkár 1
  • for sale plot Bábonymegyer 2
  • for sale plot Babosdöbréte 1
  • for sale plot Badacsonytomaj 9
  • for sale plot Badacsonytördemic 6
  • for sale plot Bag 4
  • for sale plot Bagod 2
  • for sale plot Bajót 2
  • for sale plot Bak 1
  • for sale plot Bakonycsernye 1
  • for sale plot Balatonakali 3
  • for sale plot Balatonalmádi 7
  • for sale plot Balatonberény 8
  • for sale plot Balatonboglár 3
  • for sale plot Balatoncsicsó 1
  • for sale plot Balatonederics 5
  • for sale plot Balatonendréd 3
  • for sale plot Balatonfenyves 2
  • for sale plot Balatonfőkajár 1
  • for sale plot Balatonföldvár 6
  • for sale plot Balatonfüred 9
  • for sale plot Balatonfűzfő 1
  • for sale plot Balatongyörök 7
  • for sale plot Balatonhenye 3
  • for sale plot Balatonkenese 24
  • for sale plot Balatonkeresztúr 1
  • for sale plot Balatonlelle 1
  • for sale plot Balatonmáriafürdő 3
  • for sale plot Balatonőszöd 3
  • for sale plot Balatonrendes 1
  • for sale plot Balatonszabadi 4
  • for sale plot Balatonszárszó 14
  • for sale plot Balatonszemes 2
  • for sale plot Balatonszepezd 2
  • for sale plot Balatonszőlős 9
  • for sale plot Balatonudvari 2
  • for sale plot Balatonvilágos 5
  • for sale plot Ballószög 1
  • for sale plot Balmazújváros 1
  • for sale plot Bálványos 6
  • for sale plot Bárdudvarnok 1
  • for sale plot Bázakerettye 1
  • for sale plot Bazsi 1
  • for sale plot Becsehely 1
  • for sale plot Beloiannisz 1
  • for sale plot Bér 2
  • for sale plot Bérbaltavár 1
  • for sale plot Berettyóújfalu 6
  • for sale plot Berhida 1
  • for sale plot Besnyő 1
  • for sale plot Biatorbágy 14
  • for sale plot Bicske 25
  • for sale plot Birján 2
  • for sale plot Bisse 1
  • for sale plot Bocfölde 2
  • for sale plot Bocskaikert 1
  • for sale plot Bodajk 1
  • for sale plot Bodony 3
  • for sale plot Bodrogkeresztúr 1
  • for sale plot Bodrogolaszi 1
  • for sale plot Bogács 1
  • for sale plot Bogyiszló 2
  • for sale plot Bonyhád 3
  • for sale plot Borgáta 1
  • for sale plot Böde 1
  • for sale plot Budajenő 5
  • for sale plot Budakalász 2
  • for sale plot Budakeszi 11
  • for sale plot Budaörs 14
  • for sale plot Budapest II. kerület 4
  • for sale plot Budapest II/A. kerület 15
  • for sale plot Budapest III. kerület 38
  • for sale plot Budapest IV. kerület 4
  • for sale plot Budapest IX. kerület 6
  • for sale plot Budapest VI. kerület 1
  • for sale plot Budapest VII. kerület 2
  • for sale plot Budapest VIII. kerület 4
  • for sale plot Budapest X. kerület 6
  • for sale plot Budapest XI. kerület 11
  • for sale plot Budapest XII. kerület 7
  • for sale plot Budapest XIII. kerület 6
  • for sale plot Budapest XIV. kerület 12
  • for sale plot Budapest XIX. kerület 2
  • for sale plot Budapest XV. kerület 8
  • for sale plot Budapest XVI. kerület 6
  • for sale plot Budapest XVII. kerület 25
  • for sale plot Budapest XVIII. kerület 2
  • for sale plot Budapest XX. kerület 3
  • for sale plot Budapest XXI. kerület 11
  • for sale plot Budapest XXII. kerület 10
  • for sale plot Budapest XXIII. kerület 4
  • for sale plot Bugyi 1
  • for sale plot Buzsák 2
  • for sale plot Bükkszentkereszt 3
  • for sale plot Cegléd 24
  • for sale plot Celldömölk 1
  • for sale plot Csabdi 1
  • for sale plot Csajág 1
  • for sale plot Csanádalberti 1
  • for sale plot Csány 1
  • for sale plot Csécse 1
  • for sale plot Csemő 2
  • for sale plot Csenger 1
  • for sale plot Csép 1
  • for sale plot Csepreg 1
  • for sale plot Cserkút 2
  • for sale plot Cserszegtomaj 10
  • for sale plot Csévharaszt 9
  • for sale plot Csobánka 2
  • for sale plot Csókakő 2
  • for sale plot Csopak 2
  • for sale plot Csór 3
  • for sale plot Csömör 12
  • for sale plot Csörnyeföld 1
  • for sale plot Csörög 2
  • for sale plot Csővár 1
  • for sale plot Dabas 8
  • for sale plot Dány 1
  • for sale plot Daruszentmiklós 1
  • for sale plot Debrecen 110
  • for sale plot Decs 1
  • for sale plot Dédestapolcsány 1
  • for sale plot Dég 1
  • for sale plot Délegyháza 2
  • for sale plot Deszk 1
  • for sale plot Detk 2
  • for sale plot Devecser 2
  • for sale plot Diósd 4
  • for sale plot Dióskál 2
  • for sale plot Domony 5
  • for sale plot Dorog 2
  • for sale plot Dorogháza 1
  • for sale plot Dömös 3
  • for sale plot Dömsöd 6
  • for sale plot Dörgicse 6
  • for sale plot Döröske 2
  • for sale plot Drégelypalánk 1
  • for sale plot Dudar 1
  • for sale plot Dunaalmás 4
  • for sale plot Dunabogdány 7
  • for sale plot Dunaföldvár 1
  • for sale plot Dunaharaszti 7
  • for sale plot Dunakeszi 5
  • for sale plot Dunaszeg 1
  • for sale plot Dunaszentgyörgy 2
  • for sale plot Dunaújváros 2
  • for sale plot Dunavarsány 3
  • for sale plot Écs 1
  • for sale plot Ecser 1
  • for sale plot Eger 13
  • for sale plot Egeraracsa 2
  • for sale plot Egerszalók 11
  • for sale plot Egerszólát 1
  • for sale plot Egyek 22
  • for sale plot Enying 1
  • for sale plot Ercsi 6
  • for sale plot Érd 25
  • for sale plot Erdőkertes 3
  • for sale plot Eszteregnye 2
  • for sale plot Esztergályhorváti 1
  • for sale plot Esztergom 16
  • for sale plot Etyek 10
  • for sale plot Farkasgyepű 2
  • for sale plot Farkaslyuk 1
  • for sale plot Farmos 7
  • for sale plot Fehérvárcsurgó 4
  • for sale plot Felcsút 4
  • for sale plot Felsőmarác 2
  • for sale plot Felsőnána 1
  • for sale plot Felsőörs 5
  • for sale plot Felsőpáhok 1
  • for sale plot Felsőpakony 1
  • for sale plot Felsőrajk 4
  • for sale plot Felsőzsolca 1
  • for sale plot Fertőd 1
  • for sale plot Fertőendréd 1
  • for sale plot Fertőszentmiklós 2
  • for sale plot Foktő 1
  • for sale plot Fonyód 3
  • for sale plot Fót 9
  • for sale plot Fülöp 1
  • for sale plot Fülöpszállás 1
  • for sale plot Füzesabony 1
  • for sale plot Füzesgyarmat 1
  • for sale plot Galambok 1
  • for sale plot Galgahévíz 4
  • for sale plot Gárdony 11
  • for sale plot Gelse 1
  • for sale plot Gencsapáti 1
  • for sale plot Gerjen 4
  • for sale plot Gersekarát 2
  • for sale plot Gomba 3
  • for sale plot Gosztola 2
  • for sale plot Göd 3
  • for sale plot Gödöllő 7
  • for sale plot Gödre 2
  • for sale plot Gölle 1
  • for sale plot Gönyű 2
  • for sale plot Görcsöny 1
  • for sale plot Görgeteg 1
  • for sale plot Gyál 4
  • for sale plot Gyékényes 2
  • for sale plot Gyenesdiás 4
  • for sale plot Gyód 1
  • for sale plot Gyomaendrőd 2
  • for sale plot Gyömöre 1
  • for sale plot Gyömrő 12
  • for sale plot Gyöngyös 13
  • for sale plot Gyöngyösfalu 1
  • for sale plot Gyöngyöshalász 2
  • for sale plot Győr 18
  • for sale plot Győrújbarát 4
  • for sale plot Győrzámoly 1
  • for sale plot Gyugy 1
  • for sale plot Gyulaháza 1
  • for sale plot Gyulakeszi 4
  • for sale plot Gyúró 4
  • for sale plot Hajdúböszörmény 7
  • for sale plot Hajdúdorog 1
  • for sale plot Hajdúhadház 1
  • for sale plot Hajdúsámson 33
  • for sale plot Hajdúszoboszló 5
  • for sale plot Halásztelek 1
  • for sale plot Halimba 2
  • for sale plot Harasztifalu 1
  • for sale plot Harka 1
  • for sale plot Harkány 2
  • for sale plot Háromfa 1
  • for sale plot Harsány 1
  • for sale plot Hatvan 2
  • for sale plot Hegymagas 2
  • for sale plot Hejőkürt 2
  • for sale plot Helesfa 1
  • for sale plot Helvécia 3
  • for sale plot Hernád 3
  • for sale plot Hévíz 4
  • for sale plot Hódmezővásárhely 1
  • for sale plot Homokkomárom 3
  • for sale plot Hort 1
  • for sale plot Hortobágy 1
  • for sale plot Hosszúhetény 2
  • for sale plot Hosszúpályi 5
  • for sale plot Hottó 1
  • for sale plot Iklad 3
  • for sale plot Iklódbördőce 1
  • for sale plot Inárcs 2
  • for sale plot Isaszeg 7
  • for sale plot Iszkaszentgyörgy 2
  • for sale plot Isztimér 3
  • for sale plot Ivánc 1
  • for sale plot Iváncsa 1
  • for sale plot Izsák 2
  • for sale plot Jászberény 3
  • for sale plot Jászdózsa 1
  • for sale plot Jászfelsőszentgyörgy 1
  • for sale plot Jászfényszaru 1
  • for sale plot Jászkarajenő 1
  • for sale plot Jenő 2
  • for sale plot Jobbágyi 2
  • for sale plot Kaba 1
  • for sale plot Kajászó 1
  • for sale plot Kál 1
  • for sale plot Káloz 1
  • for sale plot Kápolnásnyék 1
  • for sale plot Kaposkeresztúr 1
  • for sale plot Kaposvár 2
  • for sale plot Káptalantóti 4
  • for sale plot Karácsond 1
  • for sale plot Karád 2
  • for sale plot Kartal 1
  • for sale plot Kávás 2
  • for sale plot Kazincbarcika 2
  • for sale plot Kecskemét 32
  • for sale plot Kehidakustány 9
  • for sale plot Kék 2
  • for sale plot Kékkút 3
  • for sale plot Kemecse 2
  • for sale plot Kemenespálfa 1
  • for sale plot Kemenesszentpéter 1
  • for sale plot Kémes 10
  • for sale plot Kemestaródfa 1
  • for sale plot Kengyel 2
  • for sale plot Kercaszomor 1
  • for sale plot Kereki 3
  • for sale plot Kerepes 19
  • for sale plot Kerkabarabás 1
  • for sale plot Kerkateskánd 1
  • for sale plot Keszthely 5
  • for sale plot Kesztölc 1
  • for sale plot Keszü 2
  • for sale plot Kéthely 1
  • for sale plot Kincsesbánya 3
  • for sale plot Kisapáti 2
  • for sale plot Kisgörbő 1
  • for sale plot Kisjakabfalva 1
  • for sale plot Kisköre 2
  • for sale plot Kiskunfélegyháza 2
  • for sale plot Kiskunlacháza 1
  • for sale plot Kisláng 2
  • for sale plot Kislőd 3
  • for sale plot Kismaros 3
  • for sale plot Kisoroszi 1
  • for sale plot Kistarcsa 4
  • for sale plot Kistelek 1
  • for sale plot Kistótfalu 2
  • for sale plot Kisvárda 1
  • for sale plot Kiszombor 2
  • for sale plot Kocs 1
  • for sale plot Kóka 2
  • for sale plot Kolontár 1
  • for sale plot Komárom 4
  • for sale plot Kosd 5
  • for sale plot Kozármisleny 2
  • for sale plot Kömlő 1
  • for sale plot Körmend 2
  • for sale plot Környe 4
  • for sale plot Kőröshegy 5
  • for sale plot Körösnagyharsány 1
  • for sale plot Körösszakál 1
  • for sale plot Kőszárhegy 2
  • for sale plot Kőszeg 4
  • for sale plot Kőszegdoroszló 7
  • for sale plot Kőszegszerdahely 1
  • for sale plot Kötcse 6
  • for sale plot Kővágóörs 4
  • for sale plot Kővágószőlős 3
  • for sale plot Köveskál 5
  • for sale plot Kulcs 8
  • for sale plot Kunhegyes 1
  • for sale plot Kunpeszér 1
  • for sale plot Kustánszeg 2
  • for sale plot Lábatlan 2
  • for sale plot Lajosmizse 3
  • for sale plot Lakhegy 1
  • for sale plot Leányfalu 9
  • for sale plot Leányvár 1
  • for sale plot Lengyeltóti 3
  • for sale plot Lenti 5
  • for sale plot Lepsény 3
  • for sale plot Lesenceistvánd 1
  • for sale plot Létavértes 1
  • for sale plot Letenye 2
  • for sale plot Lovas 1
  • for sale plot Lovasberény 6
  • for sale plot Lovászi 1
  • for sale plot Ludas 1
  • for sale plot Madocsa 1
  • for sale plot Maglód 3
  • for sale plot Magyaralmás 1
  • for sale plot Magyarszék 3
  • for sale plot Magyarszentmiklós 1
  • for sale plot Majosháza 2
  • for sale plot Makád 2
  • for sale plot Makó 3
  • for sale plot Mány 3
  • for sale plot Marcali 3
  • for sale plot Markaz 4
  • for sale plot Márokföld 1
  • for sale plot Martinka 2
  • for sale plot Martonvásár 1
  • for sale plot Mátraszentimre 3
  • for sale plot Mecsér 1
  • for sale plot Mencshely 2
  • for sale plot Mende 1
  • for sale plot Mezőfalva 1
  • for sale plot Mezőkövesd 1
  • for sale plot Mezőnagymihály 1
  • for sale plot Mezőtúr 1
  • for sale plot Miháld 1
  • for sale plot Mihályháza 2
  • for sale plot Mikebuda 1
  • for sale plot Mikepércs 3
  • for sale plot Mindszentkálla 2
  • for sale plot Miskolc 7
  • for sale plot Mocsa 1
  • for sale plot Mogyoród 12
  • for sale plot Mogyorósbánya 1
  • for sale plot Mohács 1
  • for sale plot Monor 22
  • for sale plot Monorierdő 6
  • for sale plot Monostorapáti 1
  • for sale plot Mosonmagyaróvár 2
  • for sale plot Mucsi 1
  • for sale plot Murakeresztúr 1
  • for sale plot Muraszemenye 1
  • for sale plot Nadap 1
  • for sale plot Nádasd 2
  • for sale plot Nádasdladány 1
  • for sale plot Nádudvar 9
  • for sale plot Nagybajom 1
  • for sale plot Nagybakónak 1
  • for sale plot Nagyberény 3
  • for sale plot Nagyfüged 1
  • for sale plot Nagygörbő 1
  • for sale plot Nagygyimót 1
  • for sale plot Nagykanizsa 14
  • for sale plot Nagykáta 9
  • for sale plot Nagykovácsi 10
  • for sale plot Nagykőrös 1
  • for sale plot Nagykutas 4
  • for sale plot Nagylengyel 1
  • for sale plot Nagymaros 2
  • for sale plot Nagyrada 2
  • for sale plot Nagyrécse 3
  • for sale plot Nagysáp 2
  • for sale plot Nagyszentjános 1
  • for sale plot Nagytarcsa 4
  • for sale plot Nagytevel 1
  • for sale plot Nemesapáti 1
  • for sale plot Nemesbük 7
  • for sale plot Nemesgulács 1
  • for sale plot Nemeskolta 1
  • for sale plot Nemesvita 2
  • for sale plot Nézsa 1
  • for sale plot Nógrád 2
  • for sale plot Nóráp 1
  • for sale plot Nyáregyháza 4
  • for sale plot Nyergesújfalu 15
  • for sale plot Nyim 2
  • for sale plot Nyíracsád 1
  • for sale plot Nyírbogdány 2
  • for sale plot Nyíregyháza 32
  • for sale plot Nyírlugos 1
  • for sale plot Nyúl 1
  • for sale plot Óbarok 1
  • for sale plot Ordacsehi 1
  • for sale plot Orfű 3
  • for sale plot Orgovány 1
  • for sale plot Orosháza 1
  • for sale plot Oroszlány 1
  • for sale plot Ostoros 1
  • for sale plot Ózd 10
  • for sale plot Őrbottyán 21
  • for sale plot Örkény 1
  • for sale plot Őrtilos 1
  • for sale plot Örvényes 1
  • for sale plot Ősi 1
  • for sale plot Öskü 2
  • for sale plot Pacsa 1
  • for sale plot Padár 1
  • for sale plot Páka 1
  • for sale plot Pákozd 4
  • for sale plot Paks 12
  • for sale plot Páli 1
  • for sale plot Pálosvörösmart 1
  • for sale plot Paloznak 1
  • for sale plot Pánd 1
  • for sale plot Pannonhalma 1
  • for sale plot Pap 1
  • for sale plot Pápa 9
  • for sale plot Pápakovácsi 1
  • for sale plot Pápateszér 1
  • for sale plot Pátka 1
  • for sale plot Páty 8
  • for sale plot Pázmánd 5
  • for sale plot Pázmándfalu 1
  • for sale plot Pécel 5
  • for sale plot Pécs 36
  • for sale plot Pécsely 1
  • for sale plot Pécsudvard 3
  • for sale plot Pécsvárad 2
  • for sale plot Pér 1
  • for sale plot Perbál 2
  • for sale plot Pethőhenye 1
  • for sale plot Pilis 6
  • for sale plot Pilisborosjenő 6
  • for sale plot Piliscsaba 6
  • for sale plot Piliscsév 5
  • for sale plot Pilisjászfalu 2
  • for sale plot Pilisszentkereszt 3
  • for sale plot Pilisszentlászló 1
  • for sale plot Pilisvörösvár 4
  • for sale plot Pinkamindszent 1
  • for sale plot Pócsmegyer 1
  • for sale plot Pogány 1
  • for sale plot Polgár 2
  • for sale plot Polgárdi 6
  • for sale plot Pomáz 17
  • for sale plot Poroszló 5
  • for sale plot Pölöske 1
  • for sale plot Pusztahencse 1
  • for sale plot Pusztaszabolcs 1
  • for sale plot Pusztazámor 1
  • for sale plot Püspökhatvan 1
  • for sale plot Püspökladány 1
  • for sale plot Püspökmolnári 1
  • for sale plot Rácalmás 6
  • for sale plot Ráckeresztúr 1
  • for sale plot Ráckeve 9
  • for sale plot Rádóckölked 1
  • for sale plot Raposka 2
  • for sale plot Rédics 1
  • for sale plot Remeteszőlős 4
  • for sale plot Rétság 3
  • for sale plot Révfülöp 15
  • for sale plot Rózsaszentmárton 1
  • for sale plot Röszke 4
  • for sale plot Ságvár 3
  • for sale plot Salgótarján 2
  • for sale plot Salomvár 1
  • for sale plot Sand 1
  • for sale plot Sáránd 1
  • for sale plot Sárbogárd 3
  • for sale plot Sárhida 1
  • for sale plot Sárisáp 1
  • for sale plot Sárkeresztúr 1
  • for sale plot Sárosd 4
  • for sale plot Sárospatak 1
  • for sale plot Sárrétudvari 1
  • for sale plot Sárszentágota 1
  • for sale plot Sárszentmihály 5
  • for sale plot Sarud 4
  • for sale plot Sárvár 1
  • for sale plot Seregélyes 2
  • for sale plot Siófok 28
  • for sale plot Sóly 3
  • for sale plot Solymár 7
  • for sale plot Somlószőlős 1
  • for sale plot Somlóvásárhely 2
  • for sale plot Somogybabod 1
  • for sale plot Somogysárd 1
  • for sale plot Soponya 1
  • for sale plot Sopron 13
  • for sale plot Sormás 2
  • for sale plot Sóskút 5
  • for sale plot Sukoró 6
  • for sale plot Surd 1
  • for sale plot Sülysáp 6
  • for sale plot Sümeg 3
  • for sale plot Szabadbattyán 2
  • for sale plot Szabadegyháza 2
  • for sale plot Szada 25
  • for sale plot Szajol 2
  • for sale plot Szalafő 1
  • for sale plot Szalapa 2
  • for sale plot Szálka 4
  • for sale plot Szántód 5
  • for sale plot Szár 1
  • for sale plot Szarvas 1
  • for sale plot Szarvaskő 1
  • for sale plot Százhalombatta 1
  • for sale plot Szeged 1
  • for sale plot Székesfehérvár 15
  • for sale plot Szekszárd 19
  • for sale plot Szentbékkálla 3
  • for sale plot Szentendre 19
  • for sale plot Szentgál 1
  • for sale plot Szentgotthárd 2
  • for sale plot Szentgyörgyvár 2
  • for sale plot Szentkirályszabadja 2
  • for sale plot Szentkozmadombja 1
  • for sale plot Szentmártonkáta 4
  • for sale plot Szepetnek 1
  • for sale plot Szerecseny 2
  • for sale plot Szigetcsép 8
  • for sale plot Szigethalom 2
  • for sale plot Szigetmonostor 2
  • for sale plot Szigetszentmárton 3
  • for sale plot Szigetszentmiklós 15
  • for sale plot Szigetújfalu 1
  • for sale plot Szigliget 3
  • for sale plot Szihalom 2
  • for sale plot Szólád 3
  • for sale plot Szolnok 8
  • for sale plot Szombathely 5
  • for sale plot Sződ 5
  • for sale plot Sződliget 1
  • for sale plot Szőkedencs 1
  • for sale plot Szőlősgyörök 2
  • for sale plot Tab 6
  • for sale plot Táborfalva 1
  • for sale plot Tahitótfalu 9
  • for sale plot Taksony 3
  • for sale plot Tápióbicske 12
  • for sale plot Tápiógyörgye 1
  • for sale plot Tápiószecső 3
  • for sale plot Tápiószele 1
  • for sale plot Tápiószentmárton 7
  • for sale plot Tápiószőlős 3
  • for sale plot Tárnok 7
  • for sale plot Tát 1
  • for sale plot Tata 2
  • for sale plot Tatabánya 7
  • for sale plot Téglás 4
  • for sale plot Telki 3
  • for sale plot Tenk 1
  • for sale plot Tényő 1
  • for sale plot Tét 1
  • for sale plot Tihany 2
  • for sale plot Tilaj 1
  • for sale plot Tinnye 2
  • for sale plot Tiszaalpár 2
  • for sale plot Tiszacsege 4
  • for sale plot Tiszaföldvár 3
  • for sale plot Tiszafüred 12
  • for sale plot Tiszalúc 1
  • for sale plot Tiszanána 2
  • for sale plot Tiszaörs 1
  • for sale plot Tiszaroff 1
  • for sale plot Tiszaszentimre 4
  • for sale plot Tiszaszőlős 5
  • for sale plot Tiszatenyő 2
  • for sale plot Tiszavasvári 1
  • for sale plot Tóalmás 5
  • for sale plot Tószeg 1
  • for sale plot Tótvázsony 2
  • for sale plot Tök 3
  • for sale plot Tököl 7
  • for sale plot Törökbálint 18
  • for sale plot Törökszentmiklós 1
  • for sale plot Törtel 2
  • for sale plot Tura 2
  • for sale plot Tuzsér 1
  • for sale plot Tüskevár 1
  • for sale plot Újfehértó 1
  • for sale plot Újhartyán 1
  • for sale plot Újlengyel 1
  • for sale plot Újszilvás 1
  • for sale plot Újudvar 1
  • for sale plot Úny 1
  • for sale plot Úrhida 1
  • for sale plot Úri 2
  • for sale plot Üllő 5
  • for sale plot Üröm 6
  • for sale plot Vác 23
  • for sale plot Vácduka 1
  • for sale plot Váckisújfalu 3
  • for sale plot Vácrátót 1
  • for sale plot Vág 1
  • for sale plot Vajta 2
  • for sale plot Vál 5
  • for sale plot Vállus 2
  • for sale plot Várda 1
  • for sale plot Városlőd 2
  • for sale plot Várpalota 4
  • for sale plot Várvölgy 1
  • for sale plot Vasad 1
  • for sale plot Vasalja 1
  • for sale plot Vásárosnamény 4
  • for sale plot Vaskeresztes 1
  • for sale plot Vaskút 1
  • for sale plot Vasvár 1
  • for sale plot Vaszar 1
  • for sale plot Vászoly 2
  • for sale plot Vecsés 11
  • for sale plot Velence 5
  • for sale plot Velény 1
  • for sale plot Veresegyház 4
  • for sale plot Verőce 8
  • for sale plot Verpelét 1
  • for sale plot Verseg 1
  • for sale plot Vértesacsa 4
  • for sale plot Vértesszőlős 4
  • for sale plot Veszprém 14
  • for sale plot Villány 1
  • for sale plot Vindornyalak 1
  • for sale plot Vonyarcvashegy 1
  • for sale plot Völcsej 1
  • for sale plot Záhony 1
  • for sale plot Zalaapáti 3
  • for sale plot Zalabér 1
  • for sale plot Zalacsány 5
  • for sale plot Zalaegerszeg 38
  • for sale plot Zalahaláp 3
  • for sale plot Zalakaros 8
  • for sale plot Zalaköveskút 1
  • for sale plot Zalalövő 1
  • for sale plot Zalaszántó 5
  • for sale plot Zalaszentgrót 5
  • for sale plot Zalaszentlőrinc 1
  • for sale plot Zalaszentmihály 2
  • for sale plot Zalavég 1
  • for sale plot Zamárdi 4
  • for sale plot Zámoly 3
  • for sale plot Zánka 4
  • for sale plot Zengővárkony 1
  • for sale plot Zsámbék 6
  • for sale plot Zsámbok 1
  • for sale plot Zsombó 2
  • for rent plot Budapest II/A. kerület 1
  • for rent plot Budapest III. kerület 1
  • for rent plot Budapest XII. kerület 1
  • for rent plot Debrecen 3
  • for rent plot Dunakeszi 1
  • for rent plot Eger 1
  • for rent plot Halásztelek 1
  • for rent plot Komárom 1
  • for rent plot Nagytarcsa 1
  • for rent plot Sümeg 1
  • for rent plot Tatabánya 1
  • for rent plot Zalaszentgrót 1

Contact

  1. Our Offices
  2. Customer Service:
    Home Center
    1023 Budapest,
    Lajos u. 28-32.
    +36 70 388 6000
    ugyfelszolgalat@oc.hu
  3. Press Contact:
    sajto@oc.hu

I Want to Buy

  1. Purchase
  2. Rent
  3. New Properties
  4. Apartments for Sale in Budapest

About Us

  1. About Us
  2. Analytic Division

Legal Information

  1. Data Management Information
  2. Imprint
  3. Financial Rules
  4. Service Statement
  5. Legal Statement
  1. Customer Service:
    Otthon Centrum
    1023 Budapest,
    Lajos u. 28-32.
    +36 70 388 6000
    ugyfelszolgalat@oc.hu
  2. Press Contact:
    sajto@oc.hu