13,500,000 Ft
38,000 €
- 979m²
KIVÉTELES ADOTTSÁGÚ-NYUGODT KÖRNYEZET
Felcsút egyik nyugodt, rendezett kertvárosias részén kínálunk megvételre egy 979 m² nagyságú belterületi építési telket, amely ideális választás mind családi ház építéséhez, mind értékálló befektetéshez.
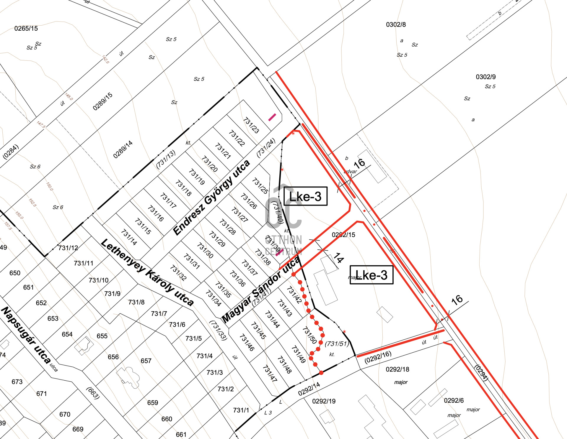
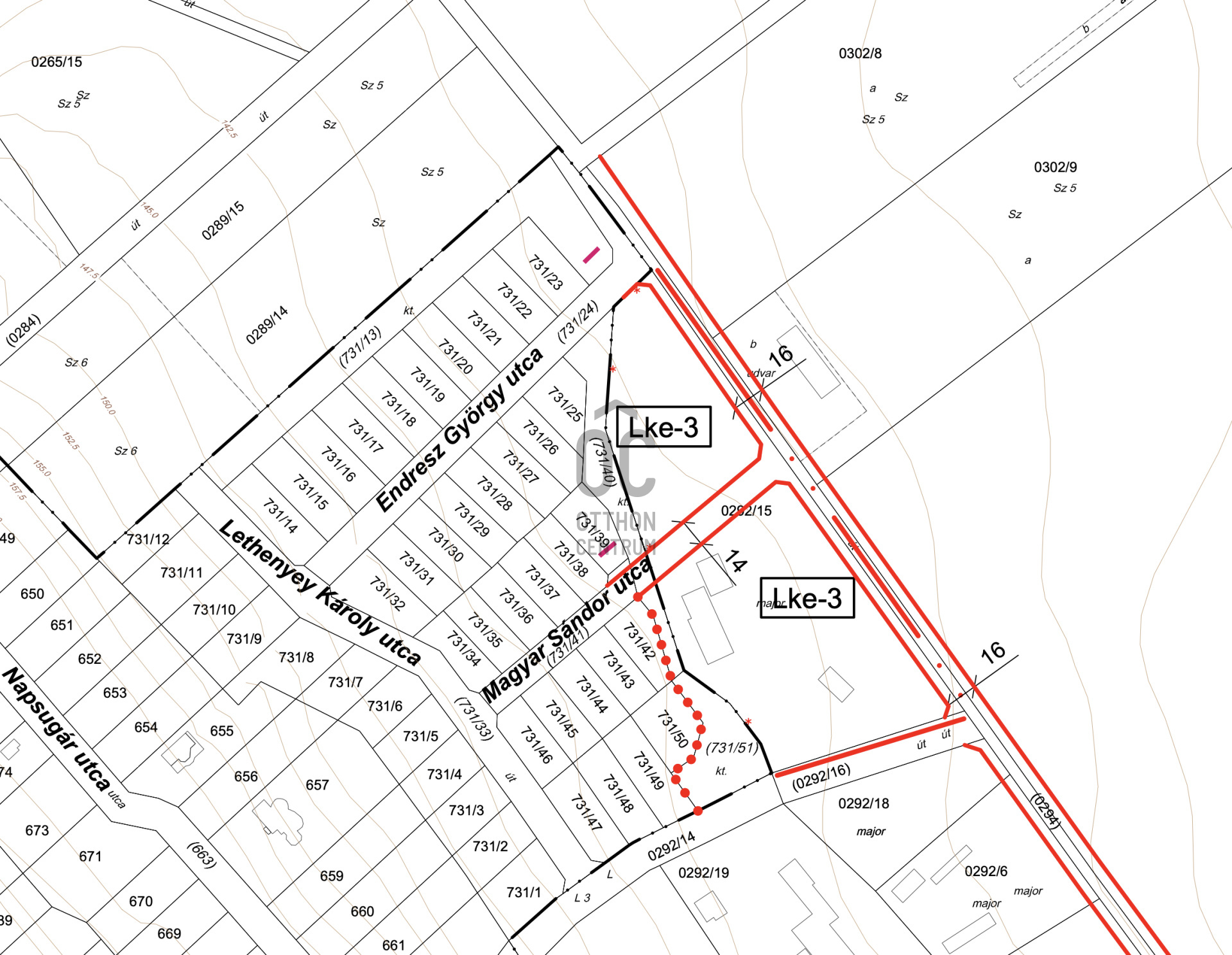
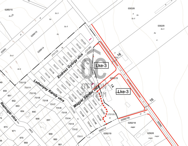
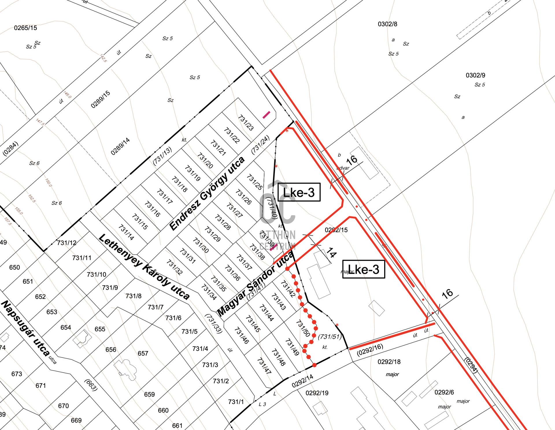
A telek a helyi építési szabályzat szerint kertvárosias lakóövezetben (Lke-3) helyezkedik el. Az övezet kifejezetten szabadon álló beépítésre alkalmas, így a jövőbeni épület körül tágas kert, privát élettér alakítható ki.
A telek főbb jellemzői:
-Telekterület: 979 m²
-Övezeti besorolás: Lke-3 – kertvárosias lakóövezet
- Zöld, családias környezet
- Lakóépület elhelyezésére alkalmas (a HÉSZ előírásainak megfelelően)
- Jó megközelíthetőség, rendezett környezet
A kertvárosias övezet lehetőséget biztosít legfeljebb kétlakásos lakóépület, valamint a lakófunkciót kiszolgáló kiegészítő építmények (garázs, tároló) elhelyezésére. Az alacsony építménymagasság és a magas zöldfelületi arány garantálja a világos, élhető és értékálló lakókörnyezetet.
Felcsút kiváló infrastruktúrával, folyamatosan fejlődő környezettel rendelkezik, így a telek hosszú távon is jó befektetés, akár saját otthon építésében, akár értéknövelő fejlesztésben gondolkodik.
A telek a helyi építési szabályzat szerint kertvárosias lakóövezetben (Lke-3) helyezkedik el. Az övezet kifejezetten szabadon álló beépítésre alkalmas, így a jövőbeni épület körül tágas kert, privát élettér alakítható ki.
A telek főbb jellemzői:
-Telekterület: 979 m²
-Övezeti besorolás: Lke-3 – kertvárosias lakóövezet
- Zöld, családias környezet
- Lakóépület elhelyezésére alkalmas (a HÉSZ előírásainak megfelelően)
- Jó megközelíthetőség, rendezett környezet
A kertvárosias övezet lehetőséget biztosít legfeljebb kétlakásos lakóépület, valamint a lakófunkciót kiszolgáló kiegészítő építmények (garázs, tároló) elhelyezésére. Az alacsony építménymagasság és a magas zöldfelületi arány garantálja a világos, élhető és értékálló lakókörnyezetet.
Felcsút kiváló infrastruktúrával, folyamatosan fejlődő környezettel rendelkezik, így a telek hosszú távon is jó befektetés, akár saját otthon építésében, akár értéknövelő fejlesztésben gondolkodik.
Registration Number
T041090
Property Details
Sales
for sale
Character
plot
Type of Land
Building plot
Zone
residential zone
Plot Size
979 m²
Orientation
East
Neighborhood
quiet, green
Electricity
On the street
Slope of Land
flat
Buildability
30%
Facade Height
4
Type of Buildable Property
Family house
Horváth Eleonóra
Credit Expert