180 000 000 Ft
475 000 €
- 300m²
Befektetési lehetőség Hódmezővásárhelyen
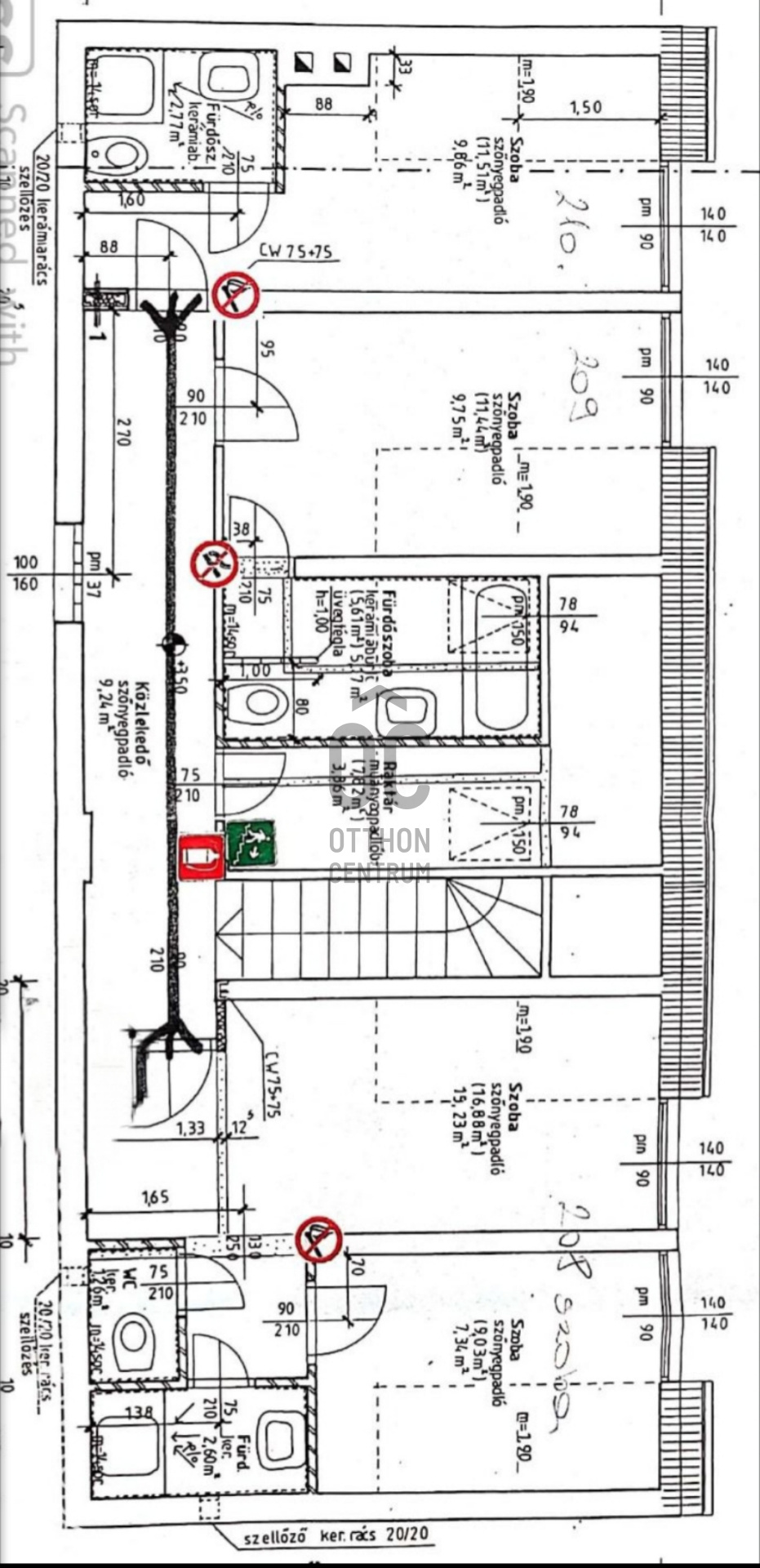
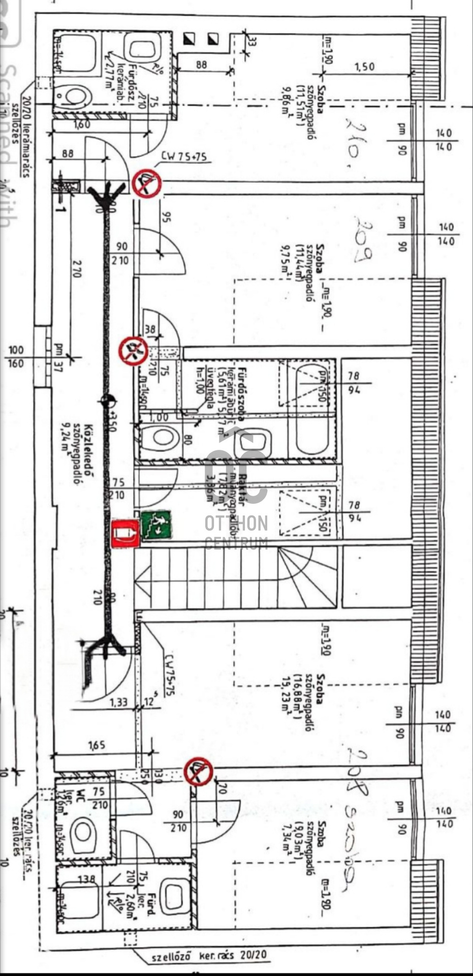
Hódmezővásárhelyen a belváros közelében vált eladóvá egy jelenleg panzióként üzemelő, két helyrajzi számon lévő ( az egyik a különálló, kizárólagos használatú, zárt parkoló, 601 + 652 nm-es ) vendéglátó egység. A jelenleg parkolónak használt üres telek, amely a főútvonalról közelíthető meg, alkalmas, akár egy új épületszárny megépítésére is. A tervrajzok a jelenlegi tulajdonos rendelkezésére állnak. A panzió főbejárata egy csendes utcából közelíthető meg, biztosítva a vendégek nyugalmát. Elhelyezkedése miatt, akár autóval, akár tömegközlekedéssel könnyen megközelíthető. A Szegedet Vásárhellyel összekötő Tram-Train (vasútvillamos) megállója, a hotelból kilépve néhány lépésre, a téren található.
A panzió jelenleg is jó kihasználtsággal működik. 15 fürdőszobás szobával rendelkezik, ebből 2 db apartman. Pótágyakkal együtt 42 fő elhelyezésére van lehetőség. A melegkonyhás étteremben, reggelin kívül, meleg ebéd, illetve vacsora is kérhető. Kisebb rendezvényeknek, családi, baráti találkozóknak is helyet tudnak adni.
Az épület jó általános állapotban van, kihasználtsága miatt, jó befektetés lehet szálláshely üzemeltetésben, vendéglátásban vállalkozóknak.
Amennyiben felkeltette érdeklődését, kérem keressen elérhetőségeimen!
#hódmezővásárhely#eladó#panzió#belváros#befektetésilehetőség#oc#
A panzió jelenleg is jó kihasználtsággal működik. 15 fürdőszobás szobával rendelkezik, ebből 2 db apartman. Pótágyakkal együtt 42 fő elhelyezésére van lehetőség. A melegkonyhás étteremben, reggelin kívül, meleg ebéd, illetve vacsora is kérhető. Kisebb rendezvényeknek, családi, baráti találkozóknak is helyet tudnak adni.
Az épület jó általános állapotban van, kihasználtsága miatt, jó befektetés lehet szálláshely üzemeltetésben, vendéglátásban vállalkozóknak.
Amennyiben felkeltette érdeklődését, kérem keressen elérhetőségeimen!
#hódmezővásárhely#eladó#panzió#belváros#befektetésilehetőség#oc#
Regisztrációs szám
UZ015992
Az ingatlan adatai
Értékesités
eladó
Jogi státusz
használt
Jelleg
üzleti célú
Típus
teljes épület
Építési mód
tégla
Méret
300 m²
Telek méret
1 252 m²
Föld feletti nettó méret
300 m²
Fűtés
Gáz cirkó
Belmagasság
300 cm
Lakáson belüli szintszám
2
Panoráma
városi panoráma
Állapot
Átlagos
Homlokzat állapota
Átlagos
Víz
Van
Gáz
Van
Villany
Van
Csatorna
Van
Lehetséges funkciók
panzió, hostel
Láthatóság
Mellékutcában utcafronton lévő
Megközelíthetőseg
Mellékutcára nyíló bejárat
Hasznosítás
tulajdosnos használja