33,600,000 Ft
89,000 €
- 1,600m²
For sale: Building plot in Kajászó!
A building plot located in Mézesfa Street, in the increasingly popular Felsőmező villa park in Kajászó, is waiting for its new owner!
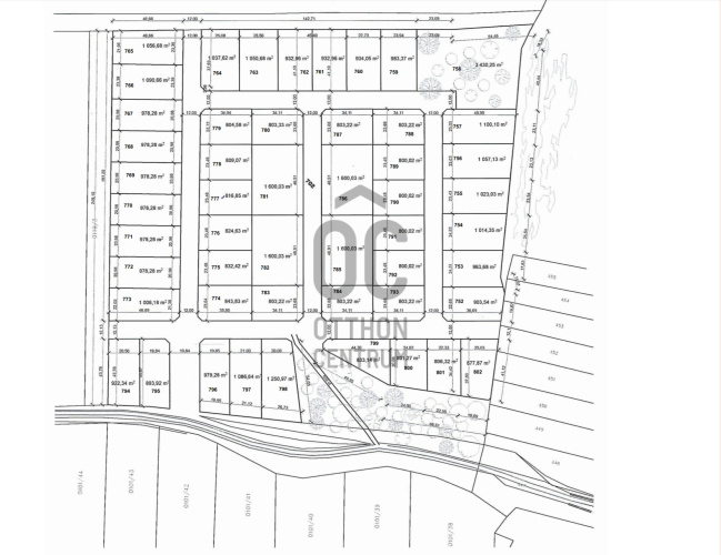
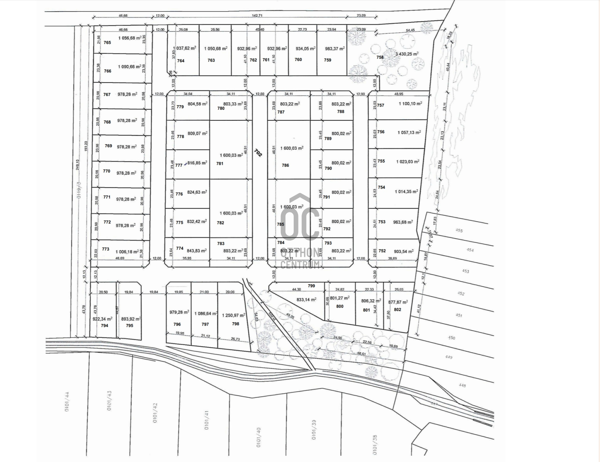
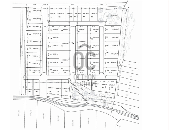
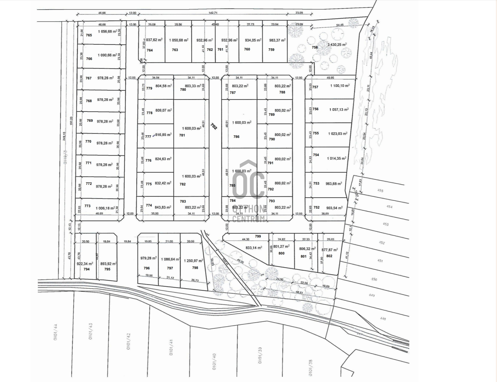
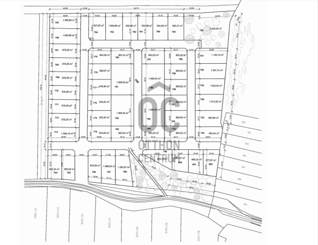
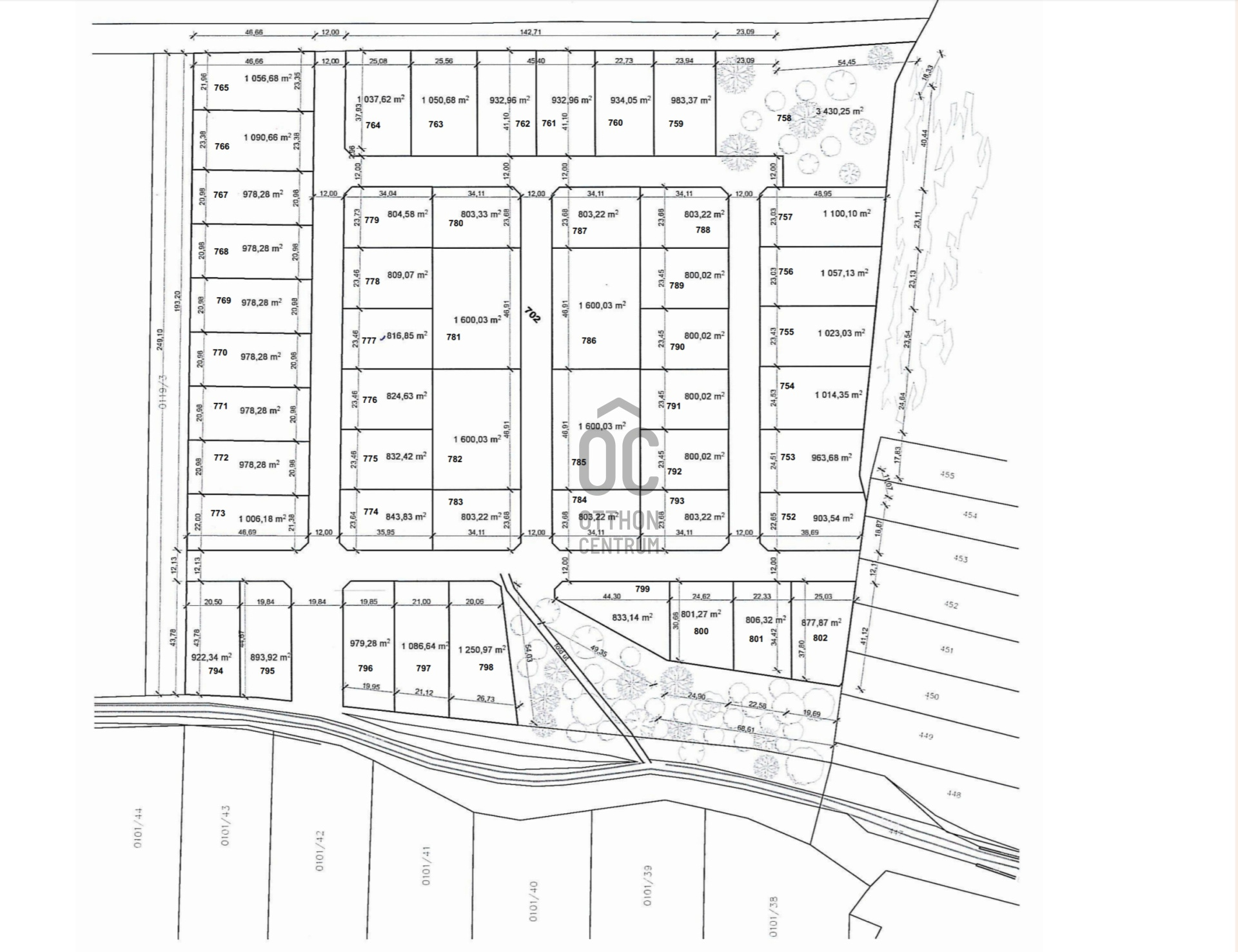
In the sought-after and dynamically developing area of Kajászó, a building plot is available for sale in the Villa Park, offering a peaceful and tranquil environment. The plot measures 1600 square meters, and the permissible buildability is 20%.
The plot located in the newly built residential park in the urban (suburban residential) zone has a permitted building height of 6.5 meters.
Situated in the Váli Valley, this settlement will provide a pleasant and nature-oriented living environment for its residents, along with all the advantages that come from being close to the city. The surrounding area offers excellent opportunities for cycling and horseback riding. The Villa Park creates an extraordinary tranquility for those longing for it, where they can become members of a kind and friendly community.
The settlement is easily accessible within 3 minutes from the M7 motorway, allowing easy access to the nearby major cities, Budapest, and Lake Balaton. Schools, kindergartens, post office, grocery stores, and all essential services are available, ensuring a peaceful and pleasant life.
I recommend it to anyone who values tranquility, proximity to nature, waking up to the chirping of birds, and enjoying barbecues in the garden. It is also an ideal choice for dog and cat lovers, as their little companions can truly feel at home here.
In the Villa Park, there are 17 plots available for sale, with sizes of 800 square meters and larger!
Dear Customer! We have also made a video about the property. If you are viewing this advertisement on the Otthon Centrum website, you can click on the video after the pictures.
Here you can watch the video about the property.
You can also find the video on our YouTube channel (Budai Agglomeráció Otthon Centrum), or write to me, and I will be happy to send you the recording.
For further information, please contact us!
We take care of others, we take care of ourselves!
FULLY ONLINE BROKERING PROCESS!
Online viewing, online purchase offer, online contract signing.
If you would like to learn more or arrange a personal viewing, please call me as soon as possible at the provided phone number!
In the sought-after and dynamically developing area of Kajászó, a building plot is available for sale in the Villa Park, offering a peaceful and tranquil environment. The plot measures 1600 square meters, and the permissible buildability is 20%.
The plot located in the newly built residential park in the urban (suburban residential) zone has a permitted building height of 6.5 meters.
Situated in the Váli Valley, this settlement will provide a pleasant and nature-oriented living environment for its residents, along with all the advantages that come from being close to the city. The surrounding area offers excellent opportunities for cycling and horseback riding. The Villa Park creates an extraordinary tranquility for those longing for it, where they can become members of a kind and friendly community.
The settlement is easily accessible within 3 minutes from the M7 motorway, allowing easy access to the nearby major cities, Budapest, and Lake Balaton. Schools, kindergartens, post office, grocery stores, and all essential services are available, ensuring a peaceful and pleasant life.
I recommend it to anyone who values tranquility, proximity to nature, waking up to the chirping of birds, and enjoying barbecues in the garden. It is also an ideal choice for dog and cat lovers, as their little companions can truly feel at home here.
In the Villa Park, there are 17 plots available for sale, with sizes of 800 square meters and larger!
Dear Customer! We have also made a video about the property. If you are viewing this advertisement on the Otthon Centrum website, you can click on the video after the pictures.
Here you can watch the video about the property.
You can also find the video on our YouTube channel (Budai Agglomeráció Otthon Centrum), or write to me, and I will be happy to send you the recording.
For further information, please contact us!
We take care of others, we take care of ourselves!
FULLY ONLINE BROKERING PROCESS!
Online viewing, online purchase offer, online contract signing.
If you would like to learn more or arrange a personal viewing, please call me as soon as possible at the provided phone number!
Registration Number
T036326
Property Details
Sales
for sale
Character
plot
Type of Land
Building plot
Zone
residential zone
Plot Size
1,600 m²
Orientation
North-East
View
Other
Neighborhood
quiet, green
Distance to Waterfront
more than 500 meters
Slope of Land
flat
Buildability
20%
Facade Height
550
Type of Buildable Property
Family house
Nagy Petra
Credit Expert