data_sheet.details.realestate.section.main.otthonstart_flag.label
For sale apartment,
H512654
Budapest XVIII. kerület, Újpéteritelep
68,700,000 Ft
192,000 €
- 58m²
- 2 Rooms
- 2nd floor
Eladó 2 szobás, kiváló elosztású téglaépítésű lakás a XVIII. kerület kedvelt részén!
In the 18th district of Budapest, in Újpéteritelep, on Nemes Street, we offer for sale a 58 m², 2-room, bright and well-distributed 2nd floor apartment with a view of both the street and the inner courtyard, which includes a surface-level, closed courtyard covered parking space, which must be purchased for a price of 3 million forints.
The house was built in 2003, is a brick-built, well-maintained building with only 18 apartments. There are shops on the ground floor of the apartment building - including a bakery, a flower shop, a tobacconist and an Otthon Centrum office - so all important services are within easy reach.
The apartment, located on the first floor, is unencumbered and creditable.
The property has currently been occupied by a reliable tenant for several years, who would be happy to stay if needed, so this is an excellent investment opportunity. If the tenant were to purchase the apartment for their own purposes, the tenant can move out within 60-90 days. There are also several 2-3-room apartments for sale in the house.
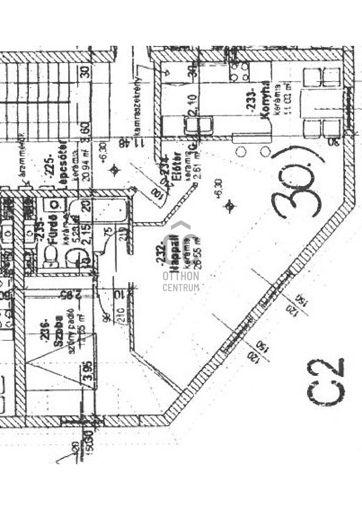
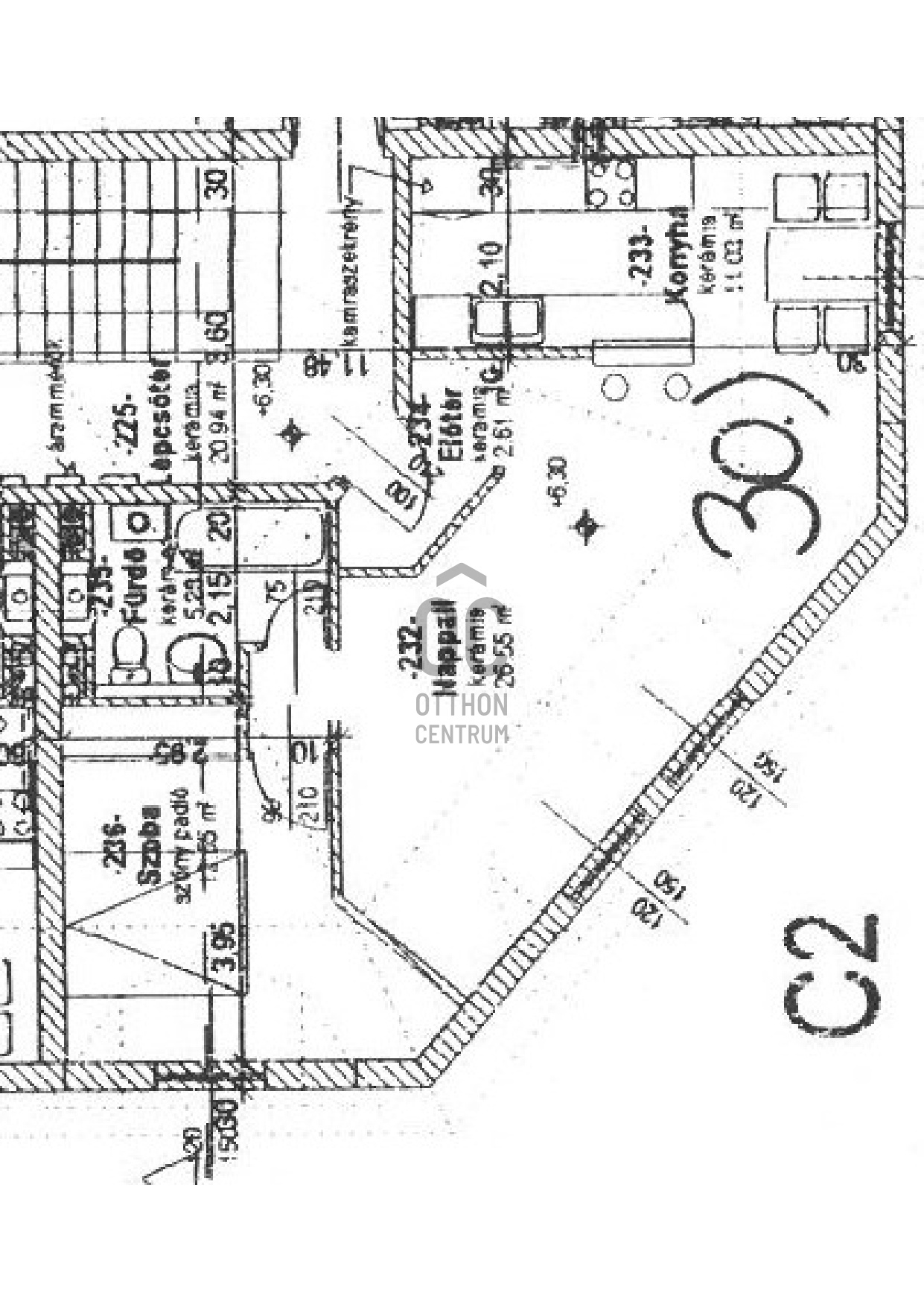
The rooms of the apartment:
-living room-dining room: 26.55 m²
-kitchen: 11.03 m²
-separate bedroom: 12.58 m²
-hallway: 2.61 m²
-bathroom-WC: 5.3 m²
The heating is provided by a condensing gas boiler replaced in 2017, which has already undergone major maintenance this year.
The apartment also has air conditioning, and plastic windows and doors have been installed.
The electricity and gas meters are prepaid, the common cost is 19,140 HUF/month.
The apartment also has a lockable shared storage room, on the ground floor of the staircase
Parking on the street is free, but a 15 sqm garage can be purchased optionally for 6 million forints upon request, a covered parking space in the yard + 3 million forints is mandatory
The area is quiet, tidy and safe.
The transportation is excellent: several bus lines are within a few minutes' walk, which provide quick access to the Kőbánya-Kispest metro station and the city center. By car, the airport and the M0 are also easily accessible due to the proximity of Üllői út.
If you are looking for an excellently located, well-maintained, immediately move-in apartment in the 18th district, this opportunity is for you.
If you have any questions or would like to view the property, please contact us with confidence. Furthermore, if required, we provide high-level, professionally relevant loan officer support throughout the entire purchase process, from reviewing financing options to successful disbursement.
The house was built in 2003, is a brick-built, well-maintained building with only 18 apartments. There are shops on the ground floor of the apartment building - including a bakery, a flower shop, a tobacconist and an Otthon Centrum office - so all important services are within easy reach.
The apartment, located on the first floor, is unencumbered and creditable.
The property has currently been occupied by a reliable tenant for several years, who would be happy to stay if needed, so this is an excellent investment opportunity. If the tenant were to purchase the apartment for their own purposes, the tenant can move out within 60-90 days. There are also several 2-3-room apartments for sale in the house.
The rooms of the apartment:
-living room-dining room: 26.55 m²
-kitchen: 11.03 m²
-separate bedroom: 12.58 m²
-hallway: 2.61 m²
-bathroom-WC: 5.3 m²
The heating is provided by a condensing gas boiler replaced in 2017, which has already undergone major maintenance this year.
The apartment also has air conditioning, and plastic windows and doors have been installed.
The electricity and gas meters are prepaid, the common cost is 19,140 HUF/month.
The apartment also has a lockable shared storage room, on the ground floor of the staircase
Parking on the street is free, but a 15 sqm garage can be purchased optionally for 6 million forints upon request, a covered parking space in the yard + 3 million forints is mandatory
The area is quiet, tidy and safe.
The transportation is excellent: several bus lines are within a few minutes' walk, which provide quick access to the Kőbánya-Kispest metro station and the city center. By car, the airport and the M0 are also easily accessible due to the proximity of Üllői út.
If you are looking for an excellently located, well-maintained, immediately move-in apartment in the 18th district, this opportunity is for you.
If you have any questions or would like to view the property, please contact us with confidence. Furthermore, if required, we provide high-level, professionally relevant loan officer support throughout the entire purchase process, from reviewing financing options to successful disbursement.
Registration Number
H512654
Property Details
Sales
for sale
Legal Status
used
Character
apartment
Construction Method
brick
Net Size
58 m²
Gross Size
58 m²
Heating
Gas circulator
Ceiling Height
265 cm
Orientation
West
Staircase Type
enclosed staircase
Condition
Good
Condition of Facade
Good
Condition of Staircase
Good
Neighborhood
good transport, green, central
Year of Construction
2003
Number of Bathrooms
1
Position
street-facing
Common Costs
19140
Number of Covered Parking Spots
1
Water
Available
Gas
Available
Electricity
Available
Sewer
Available
Energy Certificate
D
Storage
Shared
Rooms
open-plan living and dining room
26.55 m²
kitchen
11.03 m²
room
11.58 m²
bathroom-toilet
5.23 m²
entryway
2.61 m²