29,900,000 Ft
77,000 €
- 415m²



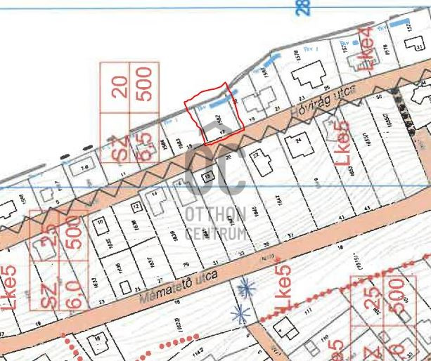
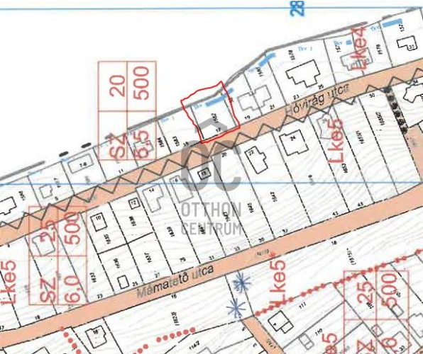
BALATONFŰZFŐ, 415 NM-ES ÉPÍTÉSI TELEK, PANORÁMA!Balatonfűzfőn kínáljuk ezt a 415 nm-es építési telket.Minden közmű rendelkezésre áll! 20 %-os beépíthetőség mellett, 5,5 m magas épület építhető!Jó a telek geometriája, kb. 20 m * 20 m-es!A telek felső részérő balatoni panoráma!
Registration Number
DTK061022
Property Details
Sales
for sale
Legal Status
used
Character
plot
Type of Land
Developmental plot
Net Size
415 m²
Gross Size
415 m²
Plot Size
415 m²
Basement
values.realestate.pince.1
Electricity
On the street
Connected to Garden
yes
Storage
Independent