Elérhető Otthon Start hitellel
Eladó lakás, H511569
Balatonlelle

89 900 000 Ft

233 000 €

  • 97m²
  • 4 szoba
  • földszint

Balatonlelle – Spacious ground floor apartment in an exclusive condominium

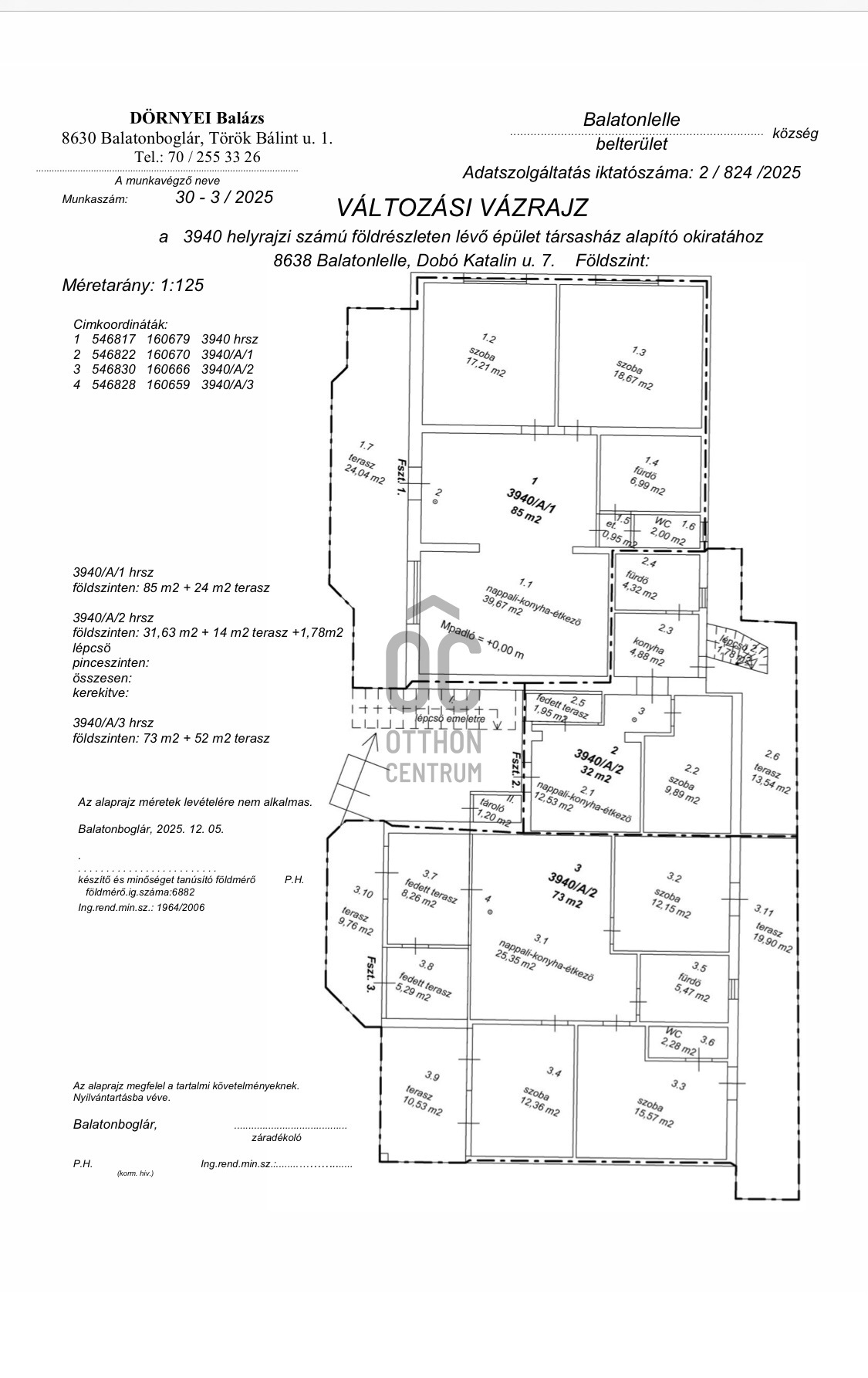
We converted this modern apartment building from a former family house: 3 apartments on the ground floor and 2 on the upper floor. A complete renovation has been carried out: new roof, flooring, bathrooms, kitchens, terraces, stairs, and windows – everything is in new condition. Details of the 85 m² apartment + 24 m² front terrace (ideal for lovers of large spaces): - 2 large rooms, spacious hallway-dining area, living room with American kitchen (open-plan space). - Separate bathroom and toilet, high ceiling height for an even more spacious feel. - Built-in spotlights on the ceiling, modern lighting. - Large front terrace – perfect for relaxation. Excellent location in the vicinity of Lake Balaton: A quiet area frequented by permanent residents in a central location. School, kindergarten, healthcare, shops, and restaurants are a 5-minute walk away. Lake Balaton is about 1 km away – harmony of vacation and everyday life. Paved entrance, private parking space within the property boundary (gate construction at the residents' decision). Currently 95% complete – move-in ready within a few weeks. A spacious, youthful home or a premium investment near the shores of Lake Balaton. Inquire now!

Regisztrációs szám

H511569

Az ingatlan adatai

Értékesités
eladó
Jogi státusz
használt
Jelleg
lakás
Építési mód
tégla
Méret
97 m²
Bruttó méret
97 m²
Terasz / erkély mérete
24 m²
Fűtés
elektromos, infra
Belmagasság
270 cm
Tájolás
Dél-nyugat
Panoráma
városi panoráma
Lépcsőház típusa
nincs
Állapot
Kiváló
Homlokzat állapota
Kiváló
Lépcsőház állapota
Kiváló
Környék
csendes, jó közlekedés, zöld, központi
Építés éve
2025
Fürdőszobák száma
1
Fekvés
utcai
Víz
Van
Gáz
Van
Villany
Van
Csatorna
Van
Tároló
Közös
Vízpart távolsága
több mint 500 méterre

Helyiségek

nappali-konyha
1 m²
előszoba
1 m²
hálószoba
1 m²
hálószoba
1 m²
fürdőszoba
1 m²
wc
1 m²

Irodánk kínálatából - Balatonboglár

eladó nyaraló

Index image
41

eladó családi ház

Index image
Elérhető Otthon Start hitellel
29

eladó családi ház

Index image
Elérhető Otthon Start hitellel
57

eladó családi ház

Index image
Elérhető Otthon Start hitellel
30

eladó kereskedelmi ingatlan

Index image
46

eladó családi ház

Index image
Elérhető Otthon Start hitellel
35

eladó lakás

Index image
16