data_sheet.details.realestate.section.main.otthonstart_flag.label
For sale apartment, H511568
Balatonlelle

44,900,000 Ft

117,000 €

  • 40m²
  • 2 Rooms
  • ground floor

Balatonlelle – Ground floor apartment in an exclusive condominium

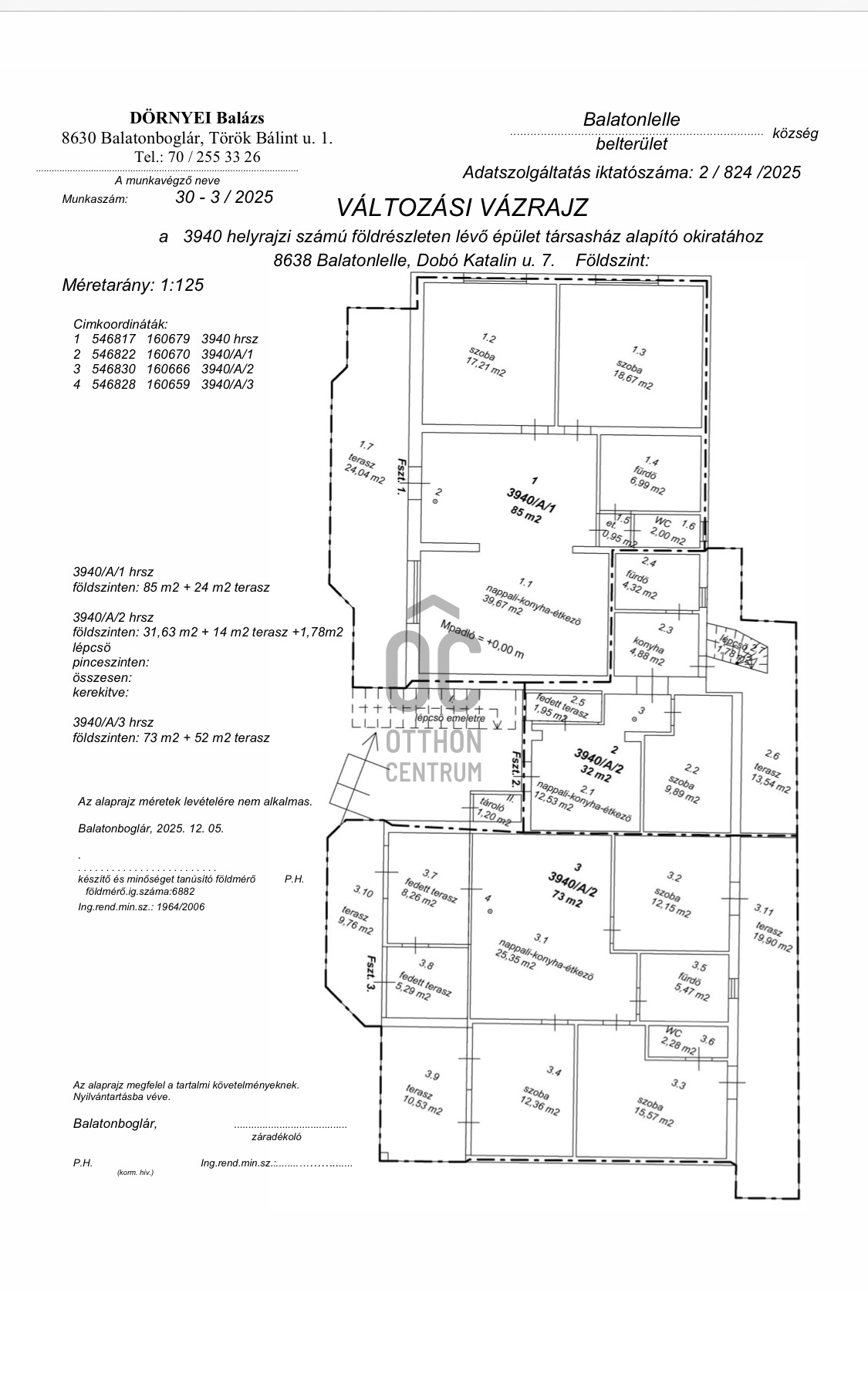
Here is the translation of the text into English: We have transformed this former family house into a modern apartment building: 3 apartments on the ground floor and 2 on the upper floor. A complete renovation has been carried out: new roof, flooring, shower bathroom, kitchen, terrace construction, staircase, windows and doors – everything is in new condition. Details of the 33 m² apartment + 13 m² back terrace: - Shower bathroom, 1 bedroom, living-dining room, kitchen (opens to the terrace). - Built-in spotlights in the ceiling, modern lighting. - The terrace leads to the basement entrance: ideal for friendly gatherings, as a wine cellar, leisure room, or hobby space (e.g., music room). Excellent location: A quiet area frequented by permanent residents in a central location. School, kindergarten, healthcare, shops, and restaurants are within a 5-minute walk. Lake Balaton is about 1 km away. Paved entrance, private parking space for each apartment within the property boundary (gate construction at the residents' discretion). Currently 95% complete – ready to move in within a few weeks. A compact, youthful home or a smart investment near the shores of Lake Balaton. Inquire now!

Registration Number

H511568

Property Details

Sales
for sale
Legal Status
used
Character
apartment
Construction Method
brick
Net Size
40 m²
Gross Size
40 m²
Size of Terrace / Balcony
13.5 m²
Heating
electric, infrared
Ceiling Height
270 cm
Orientation
South-West
View
city view
Staircase Type
none
Condition
Excellent
Condition of Facade
Excellent
Condition of Staircase
Excellent
Basement
Independent
Neighborhood
quiet, good transport, green, central
Year of Construction
2025
Number of Bathrooms
1
Position
courtyard-facing
Water
Available
Gas
Available
Electricity
Available
Sewer
Available
Storage
Shared
Distance to Waterfront
more than 500 meters

Rooms

open-plan living and dining room
1 m²
bedroom
1 m²
kitchen
1 m²
bathroom
1 m²

From Our Office Listings - Balatonboglár

for sale apartment

Index image
19

for sale plot

Index image
9

for sale apartment

Index image
data_sheet.details.realestate.section.main.otthonstart_flag.label
7

for sale new construction apartment

Index image
data_sheet.details.realestate.section.main.otthonstart_flag.label
16

for sale apartment

Index image
data_sheet.details.realestate.section.main.otthonstart_flag.label
7

for sale vacation home

Index image
41

for sale family house

Index image
data_sheet.details.realestate.section.main.otthonstart_flag.label
29

for sale family house

Index image
data_sheet.details.realestate.section.main.otthonstart_flag.label
57

for sale family house

Index image
data_sheet.details.realestate.section.main.otthonstart_flag.label
30

for sale commercial property

Index image
46

for sale family house

Index image
data_sheet.details.realestate.section.main.otthonstart_flag.label
35