Elérhető Otthon Start hitellel
Eladó újépítésű lakás,
P4722-1-01-01-022
Pécs, Belváros
99 636 000 Ft
257 000 €
- 73,6m²
- 3 szoba
- 1. emelet


FELÚJÍTOTT? Nem — ÚJ ÉPÍTÉS!
Belső kétszintes zöldkert kapcsolatos lakás
Regisztrációs szám
P4722-1-01-01-022
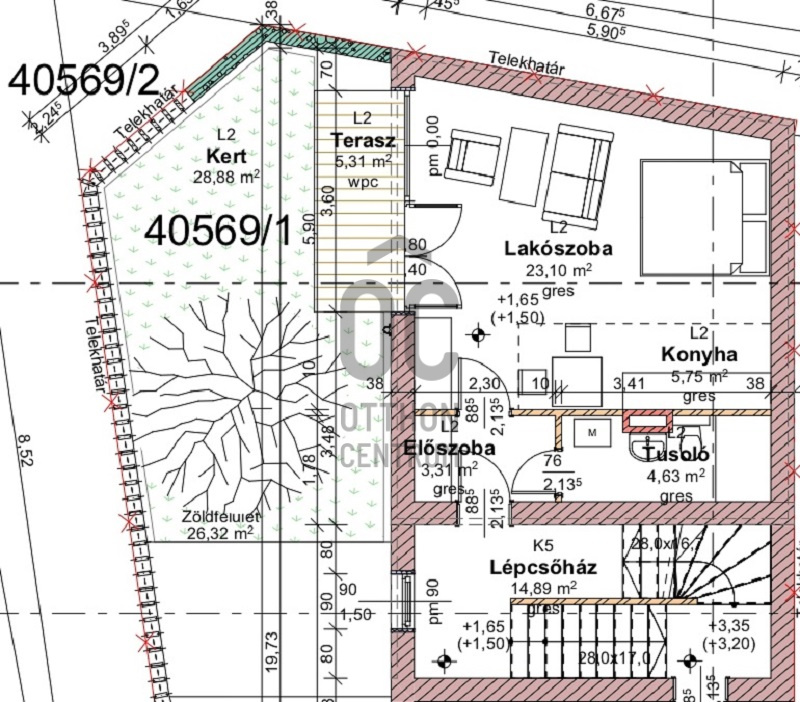
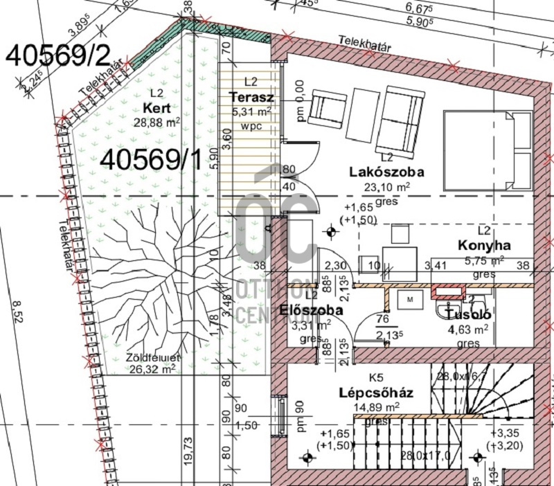
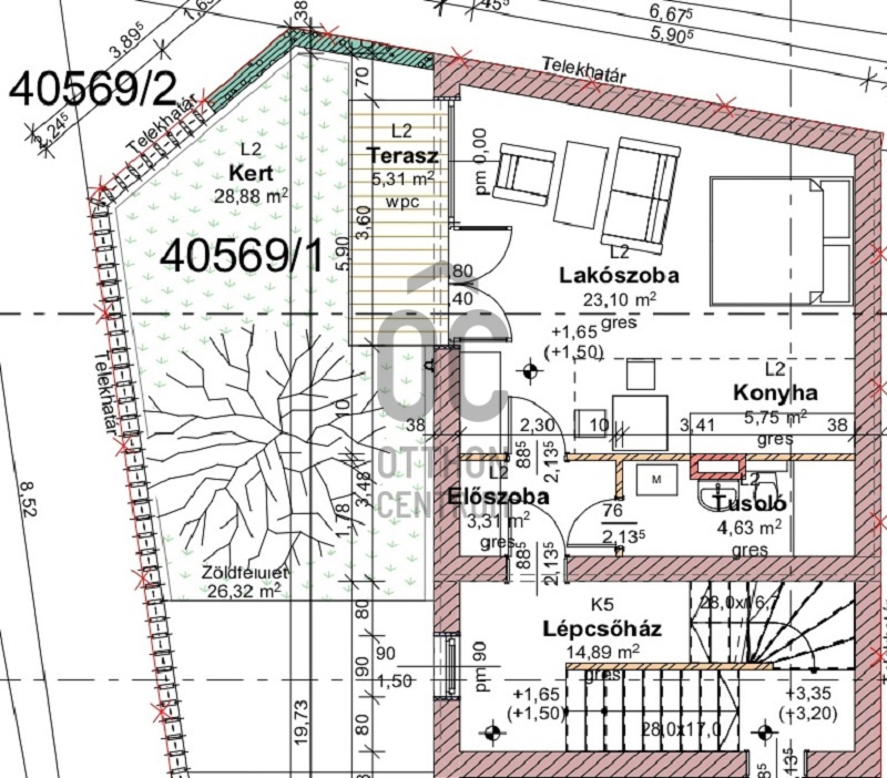
Az ingatlan adatai
Értékesités
eladó
Jogi státusz
új
Jelleg
lakás
Építési mód
tégla
Méret
73,6 m²
Bruttó méret
73,6 m²
Terasz / erkély mérete
5 m²
Kert méret
2 888 m²
Fűtés
megújuló
Belmagasság
270 cm
Lakáson belüli szintszám
1
Tájolás
Nyugat
Lépcsőház típusa
zárt lépcsőház
Állapot
Kiváló
Homlokzat állapota
Kiváló
Lépcsőház állapota
Kiváló
Környék
jó közlekedés, központi
Építés éve
2026
Fürdőszobák száma
1
Fekvés
utcai
Társaház kert
igen
Garázs
Benne van az árban
Víz
Van
Villany
Van
Csatorna
Van
Helyiségek
előszoba
3.3 m²
fürdőszoba-wc
4.63 m²
nappali-konyha
29 m²
hálószoba
29 m²

Mecseki Lászlóné - Éva
Hitelszakértő