940,000,000 Ft
2,449,000 €
- 5,278m²
Celldömölkön kiváló infrastruktúrával rendelkező 19.721 m2-es telken található iroda-raktárbázis eladó!
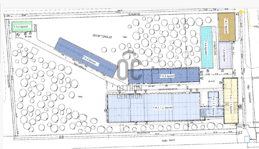
Kiváló infrastruktúrával rendelkező 19.721 m2-es telken található iroda-raktárbázis eladó! A telek közforgalmi úttal teljesen körbejárható, a déli telekhatár mellett vasútvonal húzódik. A telken 8 darab önálló, különféle méretű felépítmény található, melyeket belső úthálózat köt össze.
Az épületek közüzemi vízzel, elektromos árammal, vezetékes gázzal, szennyvízcsatorna hálózattal és kiépített tűzivíz rendszerrel vannak ellátva.
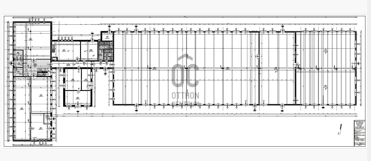
Összesen 4.859 m2 területű raktár és 1014 m2 irodaterületet áll a területen rendelkezésre.
Az épület padlóterhelhetősége 5 tonna/m2, a belmagasság pedig 5 méter.
Jellemzők
Kiváló belföldi és külföldi közlekedési kapcsolatok
Zárt terület
Térfigyelő kamerarendszer
Parkosított környezet
Személygépkocsi parkolók
Műszaki jellemzők
Padlóterhelhetőség: 5 t/m2
Belmagasság: 5 m
Közüzemi fogyasztási almérők
19721 m2 telekterület
8 felépítmény a területen
Teljes felépítmény méret: 5278 m2
Lokáció
834-es, 84-es, E66-os főút
Budapest: 150 km
Ausztria: 60 km
Telekterület: 19721 m2
Épületek össz területe: 5278 m2
Ár: 940 millió Ft + Áfa
Az épületek közüzemi vízzel, elektromos árammal, vezetékes gázzal, szennyvízcsatorna hálózattal és kiépített tűzivíz rendszerrel vannak ellátva.
Összesen 4.859 m2 területű raktár és 1014 m2 irodaterületet áll a területen rendelkezésre.
Az épület padlóterhelhetősége 5 tonna/m2, a belmagasság pedig 5 méter.
Jellemzők
Kiváló belföldi és külföldi közlekedési kapcsolatok
Zárt terület
Térfigyelő kamerarendszer
Parkosított környezet
Személygépkocsi parkolók
Műszaki jellemzők
Padlóterhelhetőség: 5 t/m2
Belmagasság: 5 m
Közüzemi fogyasztási almérők
19721 m2 telekterület
8 felépítmény a területen
Teljes felépítmény méret: 5278 m2
Lokáció
834-es, 84-es, E66-os főút
Budapest: 150 km
Ausztria: 60 km
Telekterület: 19721 m2
Épületek össz területe: 5278 m2
Ár: 940 millió Ft + Áfa
Registration Number
UZ019272
Property Details
Sales
for sale
Legal Status
used
Character
commercial
Type of Business Property
entire building
Construction Method
brick
Net Size
5,278 m²
Plot Size
19,721 m²
Above-Ground Net Size
5,278 m²
Ceiling Height
500 cm
Number of Levels Within the Property
2
Condition
Excellent
Condition of Facade
Excellent
Water
Available
Gas
Available
Electricity
Available
Sewer
Available
Possible Functions
office and warehouse, industrial hall or warehouse, logistics center, other
Visibility
Easily visible from busy main road
Accessibility
Accessible without permit for trucks over 12 tons
Utilization
vacant
Vitéz Kornél
Credit Expert