269,990,000 Ft
688,000 €
- 186m²
- 5 Rooms























Family Home, Vaulted Wine Cellar, and Hospitality Venue!
Unique Property for Sale in Gyöngyössolymos – Family Home, Vaulted Wine Cellar, and Hospitality Venue!
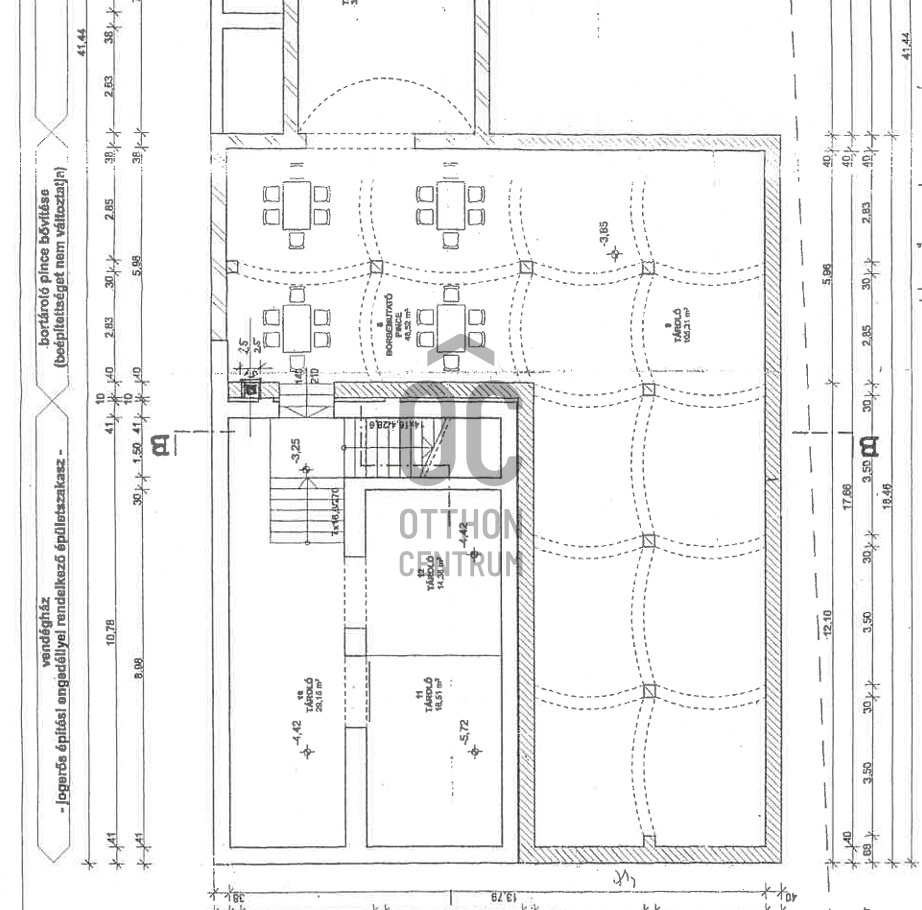
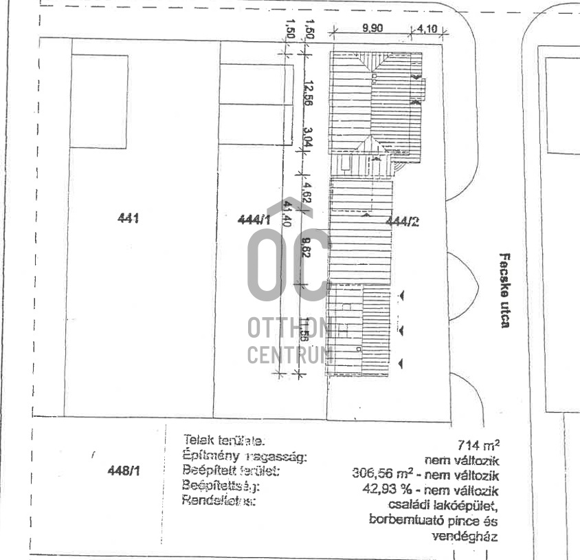
Discover a truly special opportunity in the heart of Gyöngyössolymos! This 186 sqm family home and 350 sqm traditional vaulted wine cellar offer the perfect combination of a cozy residence and an excellent business potential.
Key Features of the Property:
Family Home:
Spacious, well-designed living space, ideal for families.
Heating provided by a modern wood gasification boiler, with air conditioning ensuring comfort during hot summers.
Modern brick construction, renovated in 2012, with excellent insulation (10 cm), insulated wooden windows, and a tiled roof.
Wine Cellar and Hospitality Venue:
Authentic vaulted wine cellar, perfect for hosting exclusive events, wine festivals, friendly gatherings, or creating a unique hospitality venue.
The area above the cellar offers the potential to create additional apartments.
A 9-meter-deep dug well provides sufficient water supply for winery operations.
Location and Surroundings:
The property is nestled in the scenic foothills of the Mátra Mountains, offering a peaceful, nature-filled environment while remaining easily accessible from Gyöngyös and surrounding towns. The area's rich winemaking tradition and natural beauty further enhance the property's value.
Why Choose This Property?
This property is an ideal choice for:
Families seeking a comfortable and well-equipped home.
Entrepreneurs looking to establish an exclusive hospitality or entertainment venue.
Wine enthusiasts searching for an authentic winery setting.
Important Information: Winery equipment is not included in the sale price. The property is unencumbered and ready for immediate possession.
#PropertyForSale #Gyongyossolymos #FamilyHome #WineCellar #HospitalityVenue #BusinessOpportunity #MatraMountains #Winery #ExclusiveProperty #DreamHome #ModernLiving #CloseToNature #EventVenue
Discover a truly special opportunity in the heart of Gyöngyössolymos! This 186 sqm family home and 350 sqm traditional vaulted wine cellar offer the perfect combination of a cozy residence and an excellent business potential.
Key Features of the Property:
Family Home:
Spacious, well-designed living space, ideal for families.
Heating provided by a modern wood gasification boiler, with air conditioning ensuring comfort during hot summers.
Modern brick construction, renovated in 2012, with excellent insulation (10 cm), insulated wooden windows, and a tiled roof.
Wine Cellar and Hospitality Venue:
Authentic vaulted wine cellar, perfect for hosting exclusive events, wine festivals, friendly gatherings, or creating a unique hospitality venue.
The area above the cellar offers the potential to create additional apartments.
A 9-meter-deep dug well provides sufficient water supply for winery operations.
Location and Surroundings:
The property is nestled in the scenic foothills of the Mátra Mountains, offering a peaceful, nature-filled environment while remaining easily accessible from Gyöngyös and surrounding towns. The area's rich winemaking tradition and natural beauty further enhance the property's value.
Why Choose This Property?
This property is an ideal choice for:
Families seeking a comfortable and well-equipped home.
Entrepreneurs looking to establish an exclusive hospitality or entertainment venue.
Wine enthusiasts searching for an authentic winery setting.
Important Information: Winery equipment is not included in the sale price. The property is unencumbered and ready for immediate possession.
#PropertyForSale #Gyongyossolymos #FamilyHome #WineCellar #HospitalityVenue #BusinessOpportunity #MatraMountains #Winery #ExclusiveProperty #DreamHome #ModernLiving #CloseToNature #EventVenue
Registration Number
H495513
Property Details
Sales
for sale
Legal Status
used
Character
house
Construction Method
brick
Net Size
186 m²
Gross Size
206 m²
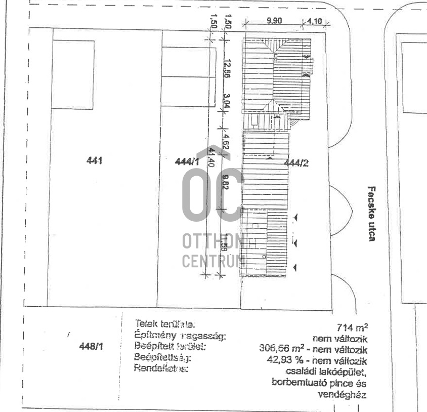
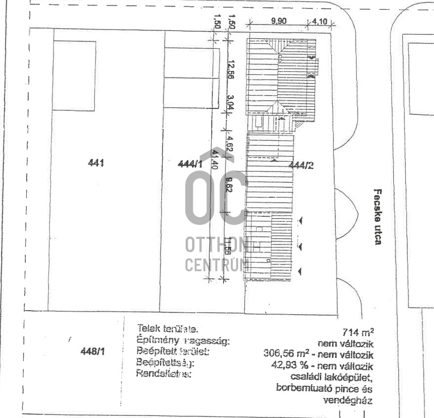
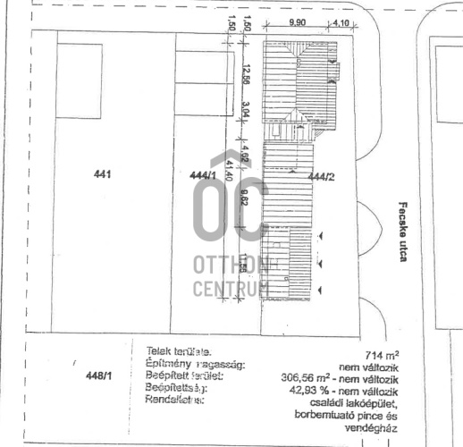
Plot Size
714 m²
Size of Terrace / Balcony
20 m²
Heating
other
Ceiling Height
275 cm
Number of Levels Within the Property
1
Orientation
South
Condition
Good
Condition of Facade
Good
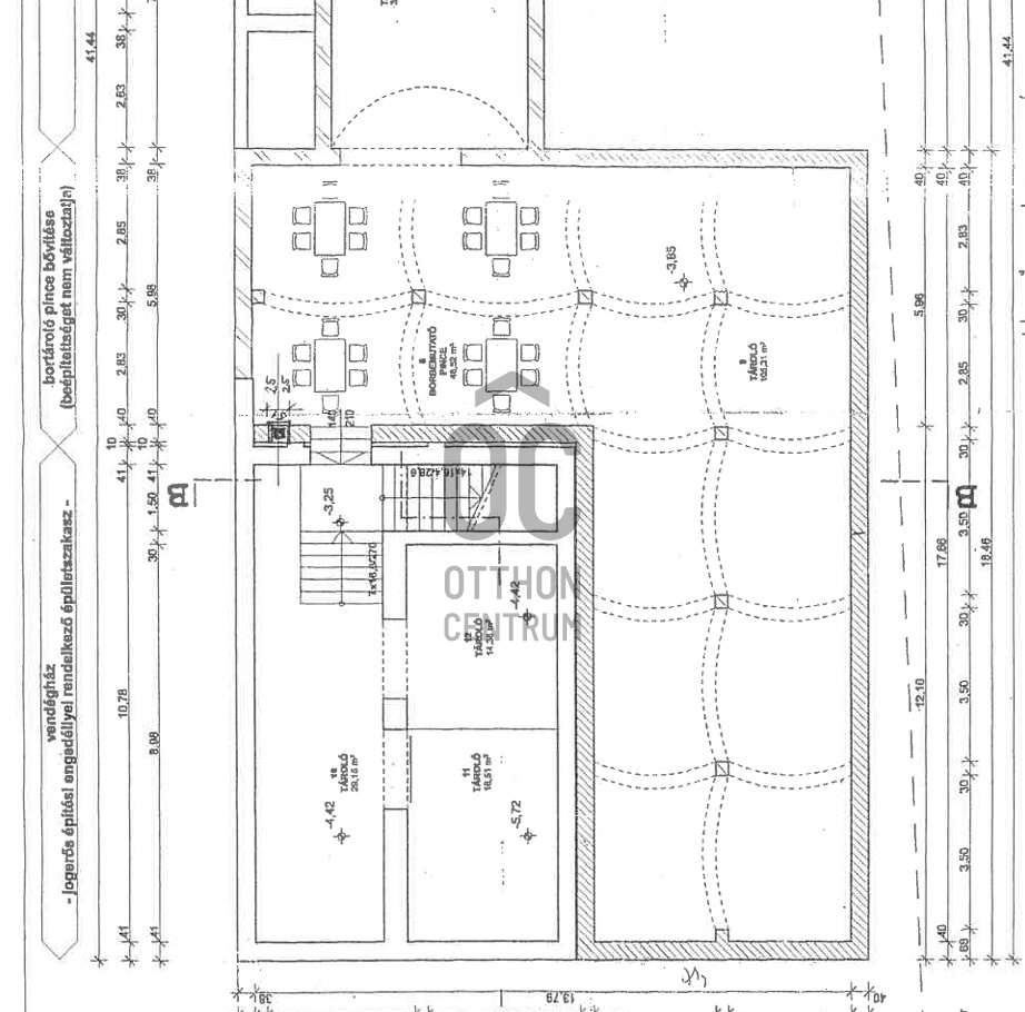
Basement
Independent
Neighborhood
quiet, good transport
Year of Construction
2012
Number of Bathrooms
2
Garage
Included in the price
Garage Spaces
2
Number of Covered Parking Spots
2
Water
Available
Gas
Available
Electricity
Available
Sewer
Available
Storage
Independent
Rooms
dining room
15 m²
kitchen
9 m²
pantry
3 m²
living room
32 m²
entryway
11 m²
bathroom
9 m²
toilet
1.5 m²
bedroom
12 m²
study
20 m²
staircase
6 m²
bedroom
25 m²
bedroom
15 m²
bathroom
7 m²
toilet
2 m²
balcony
10 m²
wardrobe
7 m²
wine cellar
350 m²
parking space
27 m²
warehouse
100 m²

Pampuk Rita
Credit Expert