data_sheet.details.realestate.section.main.otthonstart_flag.label
For sale apartment, H511569
Balatonlelle

89,900,000 Ft

238,000 €

  • 97m²
  • 4 Rooms
  • ground floor

Balatonlelle – Spacious ground floor apartment in an exclusive condominium

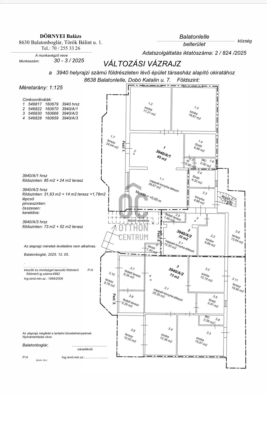
We converted this modern apartment building from a former family house: 3 apartments on the ground floor and 2 on the upper floor. A complete renovation has been carried out: new roof, flooring, bathrooms, kitchens, terraces, stairs, and windows – everything is in new condition. Details of the 85 m² apartment + 24 m² front terrace (ideal for lovers of large spaces): - 2 large rooms, spacious hallway-dining area, living room with American kitchen (open-plan space). - Separate bathroom and toilet, high ceiling height for an even more spacious feel. - Built-in spotlights on the ceiling, modern lighting. - Large front terrace – perfect for relaxation. Excellent location in the vicinity of Lake Balaton: A quiet area frequented by permanent residents in a central location. School, kindergarten, healthcare, shops, and restaurants are a 5-minute walk away. Lake Balaton is about 1 km away – harmony of vacation and everyday life. Paved entrance, private parking space within the property boundary (gate construction at the residents' decision). Currently 95% complete – move-in ready within a few weeks. A spacious, youthful home or a premium investment near the shores of Lake Balaton. Inquire now!

Registration Number

H511569

Property Details

Sales
for sale
Legal Status
used
Character
apartment
Construction Method
brick
Net Size
97 m²
Gross Size
97 m²
Size of Terrace / Balcony
24 m²
Heating
electric, infrared
Ceiling Height
270 cm
Orientation
South-West
View
city view
Staircase Type
none
Condition
Excellent
Condition of Facade
Excellent
Condition of Staircase
Excellent
Neighborhood
quiet, good transport, green, central
Year of Construction
2025
Number of Bathrooms
1
Position
street-facing
Water
Available
Gas
Available
Electricity
Available
Sewer
Available
Storage
Shared
Distance to Waterfront
more than 500 meters

Rooms

open-plan kitchen and living room
1 m²
entryway
1 m²
bedroom
1 m²
bedroom
1 m²
bathroom
1 m²
toilet
1 m²

From Our Office Listings - Balatonboglár

for sale family house

Index image
data_sheet.details.realestate.section.main.otthonstart_flag.label
28

for sale vacation home

Index image
27

for sale vacation home

Index image
27

for sale apartment

Index image
19

for sale plot

Index image
9

for sale apartment

Index image
28

for sale apartment

Index image
data_sheet.details.realestate.section.main.otthonstart_flag.label
7

for sale new construction apartment

Index image
data_sheet.details.realestate.section.main.otthonstart_flag.label
16

for sale apartment

Index image
data_sheet.details.realestate.section.main.otthonstart_flag.label
7

for sale vacation home

Index image
41

for sale family house

Index image
data_sheet.details.realestate.section.main.otthonstart_flag.label
29

for sale family house

Index image
data_sheet.details.realestate.section.main.otthonstart_flag.label
57